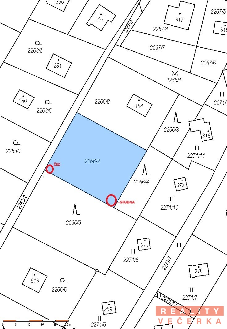
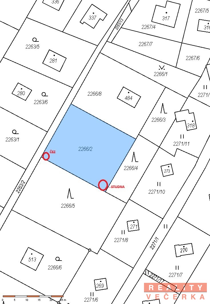
Nabízíme k prodeji stavební pozemek v katastru obce Bukovany u Týnce nad Sázavou, výměra 760 m2.
Pozemek je určený k výstavbě domu pro rodinnou rekreaci s označením číslem evidenčním, to znamená, že v domě se lze přihlásit k trvalému pobytu.
Podmínky prostorového uspořádání budoucí nemovitosti na pozemku:
-koeficient zastavění pozemku: max.15% z výměry pozemku, to je 114 m2, přitom ale půdorysná plocha objektů nepřesáhne 100 m2,
- maximální výškové parametry zástavby: max. 1 nadzemní podlaží a obytné podkroví, současně max. výška 7 m,
- minimální velikost stavebního pozemku 550 m,
-koeficient zeleně: min. 75%,
- na pozemku je vrt studny, elektřina,
Pozemek se nachází v zalesněné krajině, je zde cca 20 chat. Územní plán nepředpokládá další zástavbu (parcelaci) této oblasti. Příjezd je po zpevněné komunikaci.
Týnec nad Sázavou je vzdálený 4 minuty jízdy autem, Poříčí nad Sázavou 12 minut (nájezd na rychlostní silnici E55 a po ní na D1).
Koupě pozemku a postavení domu vám umožní žít v přírodě. Jde i o vhodnou investici.
S hypotékou vám zdarma pomůžeme. Koupi lze financovat hypotékou s ručením tímto pozemkem. Další informace získáte u makléře.
Pomocí naší hypoteční kalkulačky si můžete udělat orientační představu o výši měsíčních splátek hypotéky. O vše ostatní se pak postaráme my ve spolupráci s našimi obchodními partnery.
8 705 Kč
* Odhadovaná měsíční splátka vychází z výše úvěru Kč s pevnou úrokovou sazbou % po celou dobu trvání úvěru.
Uživatel serveru RealityMIX.cz (dále jen „Server“) dostupného na internetové adrese (URL) https://www.realitymix.cz, který provozuje společnost DALTEN media s.r.o., se sídlem Na Harfě 916/9a, Praha 9, 190 00, IČO: 271 35 306 (dále jen „Správce“) jako provozovateli tohoto Serveru uděluje svůj výslovný souhlas v souladu s ustanovením § 5 zákona č. 101/2000 Sb. O ochraně osobních údajů a o změně některých zákonů, v platném znění (dále jen „zákon o ochraně osobních údajů“), se zpracováním uživatelem poskytnutých osobních údajů a dalších dat.
Uživatel poskytuje Správci osobní údaje v rozsahu: jméno, příjmení, e-mailová adresa, telefonický kontakt a další data, a to z důvodu projeveného zájmu o nemovitost, kde prostřednictvím služby Serveru Správce osloví Uživatel inzerenta uvedeného v detailu
nemovitosti - Reality Večerka s.r.o. (IČ 17274729) se zájmem o jeho služby.
Uživatel tyto osobní údaje poskytuje dobrovolně a bere na vědomí, že součástí služeb Správce, které Správce Uživateli poskytuje, je vyhledání všech Uživateli vyhovujících (dle parametrů - cena, typ nemovitosti, lokalita atd.) nemovitostí. Správce za tímto účelem provozuje aplikace Hlídací pes a newsletter. Tyto služby je možné z každého zaslaného emailu odhlásit. Souhlas se zpracováním osobních údajů Uživatel poskytuje Správci na dobu neurčitou s tím, že svůj udělený souhlas může Uživatel kdykoliv na drese správce info@realitymix.cz odvolat. Správce garantuje Uživateli i další práva uvedené v ustanovení §11 a §21 zákoba č. 101/200 Sb. Ve znění pozdějších předpisů.
Více informací o zpracování údajů získáte zde (realitymix.cz/zasady-ochrany-osobnich-udaju)