© 1999–2026 DALTEN media s.r.o.
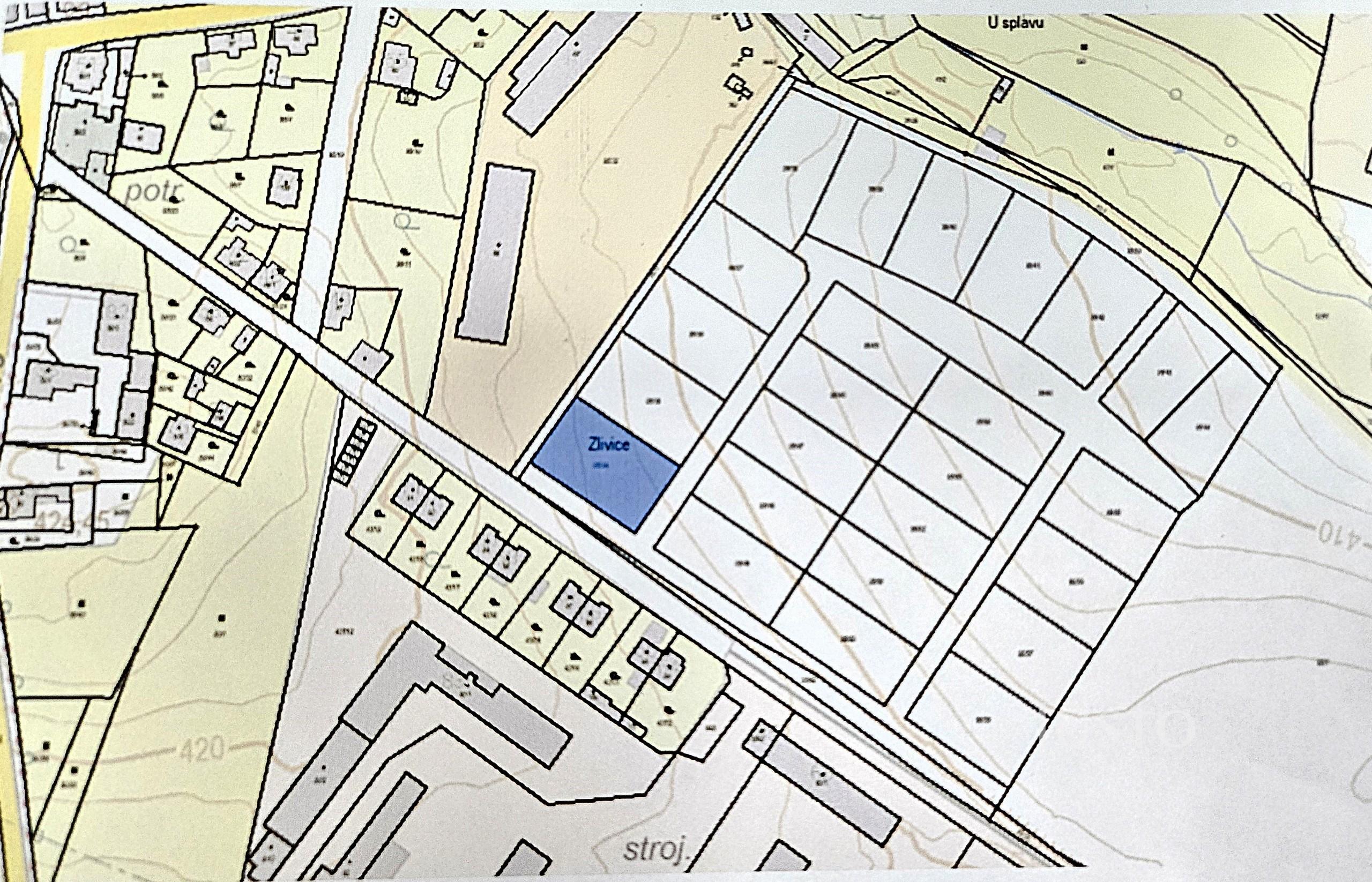
Zlivice, Čížová, okr. Písek
2 700 Kč (za m2)Zlivice, Čížová, okr. Písek
| Cena: | 2 700 Kč / (za m2) |
| Hypotéka: | od 12 539 Kč/měsíc |
| Plocha: | 1147 m² |
| Číslo zakázky: | REALITYMIX-J10442 |
Pomocí naší hypoteční kalkulačky si můžete udělat orientační představu o výši měsíčních splátek hypotéky. O vše ostatní se pak postaráme my ve spolupráci s našimi obchodními partnery.