© 1999–2026 DALTEN media s.r.o.
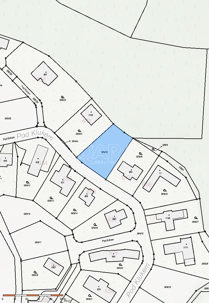
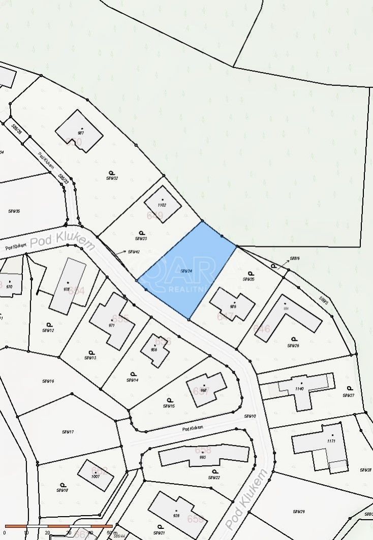
Hýskov, okr. Beroun
10 400 000 Kč| Cena: | 10 400 000 Kč |
| Poznámka: | Cena včetně právního i realitního servisu. |
| Hypotéka: | od 42 107 Kč/měsíc |
| Plocha: | 1037 m² |
| Číslo zakázky: | REALITYMIX-18176 |
Pomocí naší hypoteční kalkulačky si můžete udělat orientační představu o výši měsíčních splátek hypotéky. O vše ostatní se pak postaráme my ve spolupráci s našimi obchodními partnery.