Prodej unikátních lesních pozemků v katastrálním území Hodyně u Dřevce
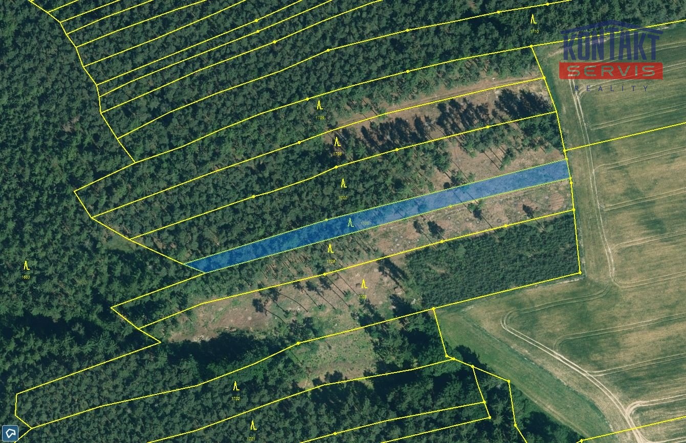
V malebné krajině nedaleko obce Hodyně, nabízíme k prodeji výjimečné lesní pozemky o celkové rozloze 1,6 hektaru. Tyto pozemky, rozdělené do šesti samostatných funkčních celků, se nacházejí ve vlastnictví jednoho majitele, což zajišťuje snadnou a transparentní správu. Lesní pozemky jsou rozděleny do šesti samostatných funkčních celků, všechny ve vlastnictví jediného majitele. Převládající porosty tvoří majestátní borovice, které jsou doplněny olší, topolem, modřínem a trnovníkem. Menší zastoupení zde mají smrky a břízy. Tato druhová rozmanitost zajišťuje stabilitu a zdravý vývoj lesního ekosystému. Věková skladba porostů je pestrá, od mladých 11letých stromků po staleté velikány ve věku 127 let. Celková dřevní zásoba činí přibližně 385 m³, z čehož 220 m³ tvoří mýtní borovice a 77 m³ předmýtní borovice. Tyto údaje svědčí o vysoce kvalitní dřevní zásobě, která je klíčem k dlouhodobé hodnotě těchto pozemků. Jeden z pozemků přímo sousedí s Kralovickým potokem, který dodává lesu přirozenou vláhu a přispívá k jeho ekologické rovnováze. Tento přirozený vodní zdroj zvyšuje atraktivnost a přirozenou hodnotu nemovitosti. Platnost lesního hospodářského plánu je do 31. 12. 2029, což zajišťuje plánovaný a udržitelný rozvoj. Přesná výměra prodávaných lesů činí 16.790 m2. Pro více informací nás kontaktujte na níže uvedených kontaktech. Pro více informací nás kontaktujte na níže uvedených kontaktech. Těšíme se na vaše dotazy!
Cena:
315 000 Kč
Poznámka:
18,76 Kč/m2, včetně DPH, včetně poplatků, včetně provize, včetně právního servisu
Pomocí naší hypoteční kalkulačky si můžete udělat orientační představu o výši měsíčních splátek hypotéky. O vše ostatní se pak postaráme my ve spolupráci s našimi obchodními partnery.
1 275 Kč
* Odhadovaná měsíční splátka vychází z výše úvěru Kč s pevnou úrokovou sazbou % po celou dobu trvání úvěru.
Uživatel serveru RealityMIX.cz (dále jen „Server“) dostupného na internetové adrese (URL) https://www.realitymix.cz, který provozuje společnost DALTEN media s.r.o., se sídlem Na Harfě 916/9a, Praha 9, 190 00, IČO: 271 35 306 (dále jen „Správce“) jako provozovateli tohoto Serveru uděluje svůj výslovný souhlas v souladu s ustanovením § 5 zákona č. 101/2000 Sb. O ochraně osobních údajů a o změně některých zákonů, v platném znění (dále jen „zákon o ochraně osobních údajů“), se zpracováním uživatelem poskytnutých osobních údajů a dalších dat.
Uživatel poskytuje Správci osobní údaje v rozsahu: jméno, příjmení, e-mailová adresa, telefonický kontakt a další data, a to z důvodu projeveného zájmu o nemovitost, kde prostřednictvím služby Serveru Správce osloví Uživatel inzerenta uvedeného v detailu
nemovitosti - Kontakt servis CZ s.r.o. (IČ 26067498) se zájmem o jeho služby.
Uživatel tyto osobní údaje poskytuje dobrovolně a bere na vědomí, že součástí služeb Správce, které Správce Uživateli poskytuje, je vyhledání všech Uživateli vyhovujících (dle parametrů - cena, typ nemovitosti, lokalita atd.) nemovitostí. Správce za tímto účelem provozuje aplikace Hlídací pes a newsletter. Tyto služby je možné z každého zaslaného emailu odhlásit. Souhlas se zpracováním osobních údajů Uživatel poskytuje Správci na dobu neurčitou s tím, že svůj udělený souhlas může Uživatel kdykoliv na drese správce info@realitymix.cz odvolat. Správce garantuje Uživateli i další práva uvedené v ustanovení §11 a §21 zákoba č. 101/200 Sb. Ve znění pozdějších předpisů.
Více informací o zpracování údajů získáte zde (realitymix.cz/zasady-ochrany-osobnich-udaju)