© 1999–2026 DALTEN media s.r.o.
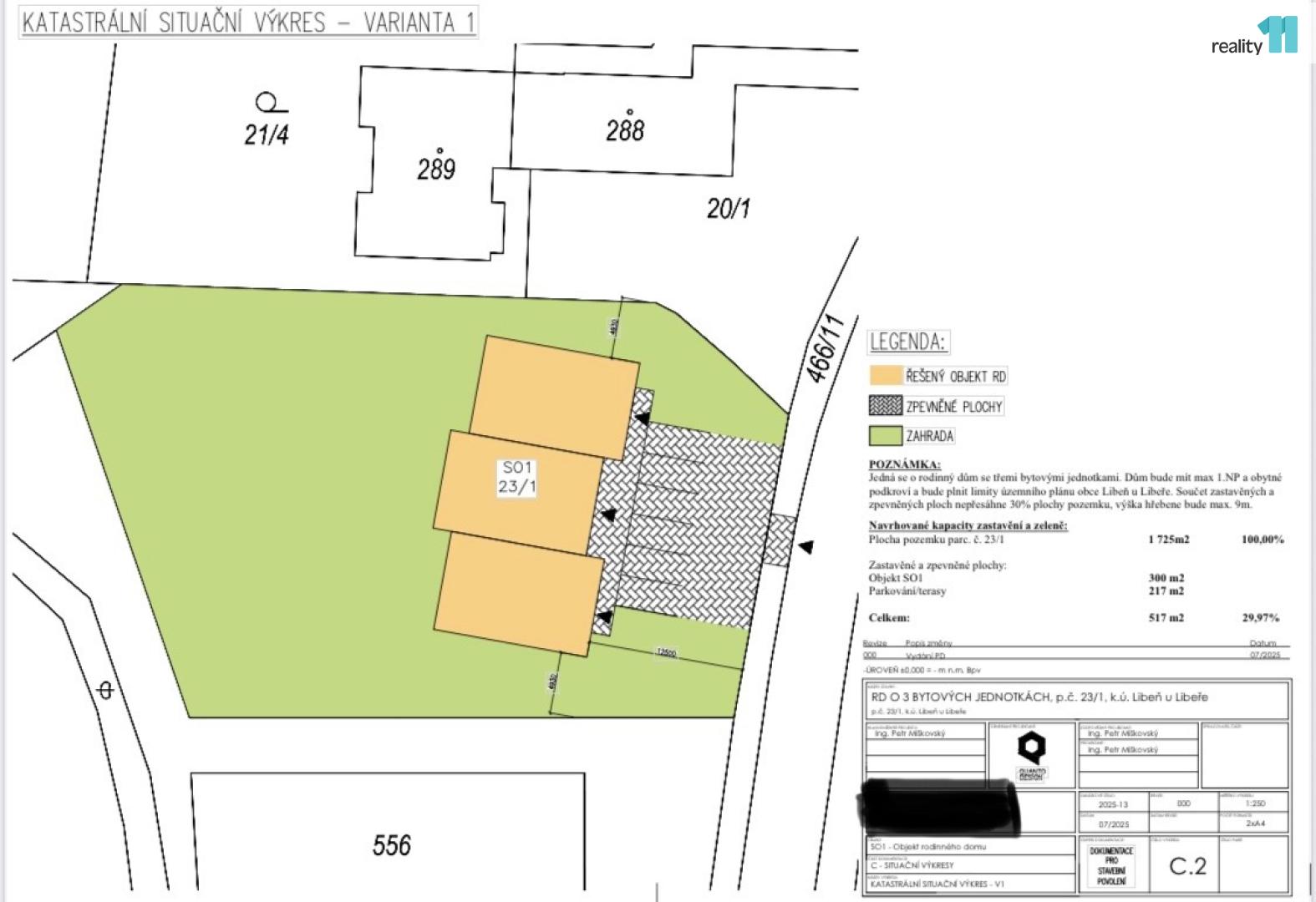
Libeň, Libeř, okr. Praha-západ
9 990 000 KčLibeň, Libeř, okr. Praha-západ
| Cena: | 9 990 000 Kč |
| Poznámka: | Neplatíte provizi RK. Jednat budete přímo s majitelem nemovitosti. |
| Hypotéka: | od 40 447 Kč/měsíc |
| Plocha: | 1725 m² |
| Číslo zakázky: | REALITYMIX-27781 |
Pomocí naší hypoteční kalkulačky si můžete udělat orientační představu o výši měsíčních splátek hypotéky. O vše ostatní se pak postaráme my ve spolupráci s našimi obchodními partnery.