Spoluvlastnický podíl | pozemek | Praha 6 - Břevnov
Nabízíme k prodeji spoluvlastnický podíl o velikosti id. 6/16 na pozemcích v lukrativní pražské čtvrti - Břevnov.
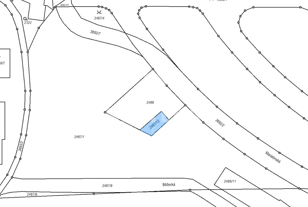
Pozemek parc. č. 2488 o výměře 786 m2 – jiná plocha, ostatní plocha
Pozemek parc. č. 2487/12 o výměře 103 m2 – jiná plocha, ostatní plocha
Pozemky se nachází na Praze 6 – Břevnově, v trojúhelníku ulic Maratónská, Skokanská a Běžecká. Lokalita je dobře dopravně dostupná. Ve vzdálenosti cca 200m se nachází sportovní areál Strahov.
V místě (cca 100 m) je možnost napojení na veškeré inženýrské sítě. Přístup k pozemku je po zpevněné komunikaci, v okolí pozemku je možnost parkování podélně na obecních komunikacích. Terén pozemku je mírně svažitý, v současné době se na něm nachází trvalý porost.
Dle stávajícího územního plánu je pozemek situován v plochách S03 – částečně urbanizované rekreační plochy.
Hlavní využití: plochy s omezenou zastavitelností sloužící rekreaci, oddechu, naučným, poznávacím a sportovním aktivitám v přírodě, které podstatně nenarušují přírodní charakter území a jejichž hlavní součástí je zeleň.
Přípustné využití: Zeleň, areály volného času, přírodní koupaliště, otevřené bazény v přírodním prostředí, pobytové louky, nekrytá sportovní zařízení bez vybavenosti. Stavby a zařízení pro provoz a údržbu, související s hlavním využitím. Dětská hřiště, drobné vodní plochy, drobná zařízení sloužící pro obsluhu sportovní funkce vodních ploch, cyklistické stezky, jezdecké stezky, pěší komunikace a prostory, liniová vedení technické infrastruktury.
NESTERA je připravena Vám vyřídit nejvýhodnější financování nemovitosti a také její následnou správu a pronájem. Umíme připravit komplexní řešení v oblasti financí – pojištění, investice, finanční analýzu a s tím související unikátní životní plán prosperity.
Uživatel serveru RealityMIX.cz (dále jen „Server“) dostupného na internetové adrese (URL) https://www.realitymix.cz, který provozuje společnost DALTEN media s.r.o., se sídlem Na Harfě 916/9a, Praha 9, 190 00, IČO: 271 35 306 (dále jen „Správce“) jako provozovateli tohoto Serveru uděluje svůj výslovný souhlas v souladu s ustanovením § 5 zákona č. 101/2000 Sb. O ochraně osobních údajů a o změně některých zákonů, v platném znění (dále jen „zákon o ochraně osobních údajů“), se zpracováním uživatelem poskytnutých osobních údajů a dalších dat.
Uživatel poskytuje Správci osobní údaje v rozsahu: jméno, příjmení, e-mailová adresa, telefonický kontakt a další data, a to z důvodu projeveného zájmu o nemovitost, kde prostřednictvím služby Serveru Správce osloví Uživatel inzerenta uvedeného v detailu
nemovitosti - NESTERA real estate s.r.o. (IČ 09216766) se zájmem o jeho služby.
Uživatel tyto osobní údaje poskytuje dobrovolně a bere na vědomí, že součástí služeb Správce, které Správce Uživateli poskytuje, je vyhledání všech Uživateli vyhovujících (dle parametrů - cena, typ nemovitosti, lokalita atd.) nemovitostí. Správce za tímto účelem provozuje aplikace Hlídací pes a newsletter. Tyto služby je možné z každého zaslaného emailu odhlásit. Souhlas se zpracováním osobních údajů Uživatel poskytuje Správci na dobu neurčitou s tím, že svůj udělený souhlas může Uživatel kdykoliv na drese správce info@realitymix.cz odvolat. Správce garantuje Uživateli i další práva uvedené v ustanovení §11 a §21 zákoba č. 101/200 Sb. Ve znění pozdějších předpisů.
Více informací o zpracování údajů získáte zde (realitymix.cz/zasady-ochrany-osobnich-udaju)