Prodej stavebních pozemků s panoramatickým výhledem [550m2] až [618m2] Skalní ulice, ZTV Srubec...
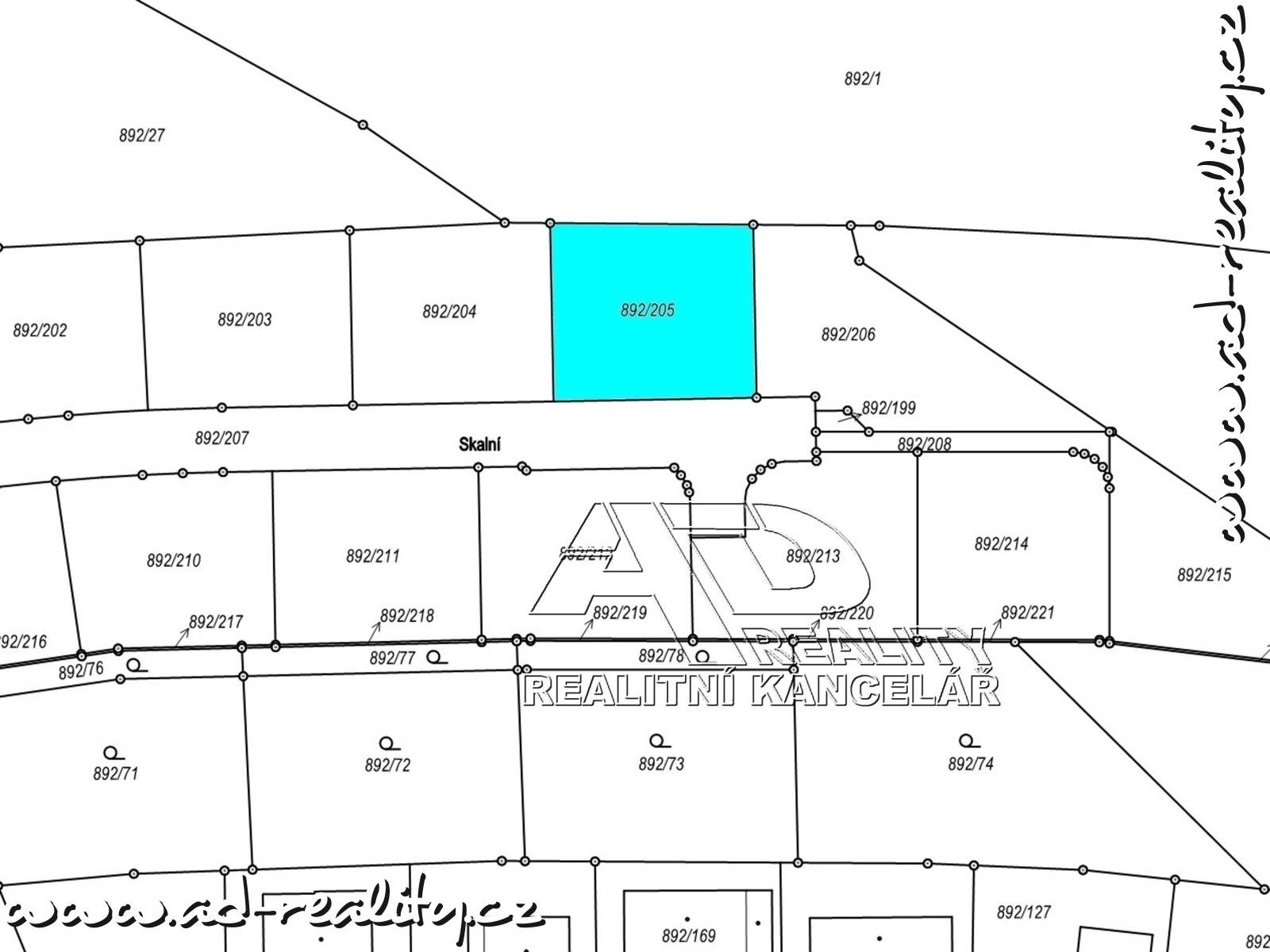
Prodej exklusivních stavebních parcel o výměře 550m2, 618m2 a 613m2 připravené k výstavbě RD v lokalitě Skalní ulice (ZTV Dobrovodská II) Srubec u Českých Budějovic, obdélníkový půdorys, přípojky IS n Ve výhradním zastoupení majitele Vám nabízíme k prodeji 3 exklusivní pozemky: (parcela 892/205) o výměře 550m2, parcela 892/206 o výměře 618m2 a parcela 892/215 o výměře 613m2 v dokončené a zkolaudované lokalitě ZTV Dobrovodská II, které se nacházejí v obytné zóně obce Srubec nedaleko Českých Budějovic. Možnost prodeje jednotlivých pozemků jako celek či samostatně. Pozemky jsou umístěny v nově vzniklé Skalní ulici s panoramatickým výhledem na České Budějovice a okolí. Pozemky jsou územním plánem určeny k zástavbě samostatně stojícím rodinným domem, dvojdomkem i k výstavbě řadových domů (objekt(y) k bydlení), a to za podmínky dodržení všech regulativ daných územním plánem obce Srubec (kompletní aktualizované změní k dispozici). Pozemky jsou vhodné jak pro individuální výstavbu, tak i investiční výstavbu (možnost odečtu DPH z pozemku). Pro investiční výstavbu nabízíme možnost souběžné koupě i dalších navazujících pozemků na tyto pozemky (vzájemně sousedních) s totožnou nebo podobnou výměrou. V případě dohody je možnost prodeje i více pozemků na tomto ZTV.
Stavebně se jedná o obdélníkový pozemek o rozměru cca [22m] x [25m], o trojúhelníkový pozemek o rozměru cca 47m x 26m a o lichoběžníkový (trojúhelníkový) pozemek o rozměru 43m x 26m. Pozemky přiléhají jižní a západní stranou k asfaltové příjezdové komunikaci, kde jdou v pilíři a šachtě ukončeny jednotlivé inženýrské sítě. Směrem na České Budějovice je pak otevřený severozápadní pohled. Pozemky jsou umístěny v zadní části ZTV, a to na samém konci budoucí zástavby. Celá plocha pozemků je vedena v územním plánu Srubec jako plocha zastavitelná, nejsou oploceny a v terénu vyznačeny jen z části. Terén je mírně svažitý od komunikace směrem na sever ke městu. Na pozemcích nejsou umístěny žádné stavby.
Územní plán povoluje výstavbu samostatně stojícího rodinného domu, řadových domů či dvojdomu, maximálně dvě nadzemní podlaží, maximálně přízemí + obytné podkroví, a zastavit lze maximálně 35% pozemku, t.j. běžně do 190m2 do 220m2. Všechny inženýrské sítě, veřejné osvětlení a datové kabely jsou řádně zkolaudované, včetně asfaltové komunikace tohoto ZTV či příjezdových vjezdů na tyto pozemky. Toto ZTV a jeho pozemky jsou napojeny na nově zrekonstruovanou asfaltovou komunikaci, která je obecní, jako je i obecní asfaltová komunikace v tomto ZTV. (rekonstrukce obecní asfaltové komunikace a inženýrských sítí v této vozovce byla dokončena v roce 2025).
Občanská vybavenost: v místě je veřejná doprava (zastávka dálkového BUS cca 250m, MHD 250m jak na Srubci tak na Dobré Vodě), devítiletá základní škola a mateřské školy přímo v obci Srubec, v katastru obce Srubec je též pošta, obchod s potravinami a spotřebním zbožím, dále nově otevřený další multifunkční market LIDL, na návsi se nachází srubecká hospůdka a multifunkční dětské hřiště s mnoha herními i pohybovými prvky. V neposlední řadě je zde velké fotbalové hřiště s veškerou další sportovní vybaveností nejen pro tento fotbal. K dispozici jsou zde i tři obecní rybníky pro malé i velké rybáře a v obci je i další sportovní a relaxační vyžití. Též se zde nachází plno spolků, oddílů a dalších zájmových skupin. Veškerá docházková vzdálenost do těchto míst není větší než 500m. Kompletní občanská vybavenost je k dispozici v ČB, které jsou od Srubce vzdáleny cca 3 km. V neposlední řadě je nově otevřen obchvat Českých Budějovic, na který najede občan Srubce téměř okamžitě při výjezdu z obce, a který nejen podstatně zrychlil a zprůjezdnil pohyb aut ze Srubce do ostatních míst, ale i podstatně přispěl k bezpečnosti a plynulosti provozu v samotné obci. Tento obchvat je součástí dálnice D3 vedoucí z Prahy do Rakouska. V nejbližší době počítá obec s výstavbou multifunkčního kulturně společenského komplexu a nového zázemí pro místní dobrovolné hasiče a jejich vybavení. Lokalita Srubec je známa svým klidným prostřením s čistým vzduchem, která navazuje na krásnou přírodu s možností procházek, relaxace a aktivního odpočinku v místních lesích. Též je známa zdejší chráněnou přírodní lokalitou.
Inženýrské sítě: přípojky inženýrských sítí (elektrika + obecní vodovod + kanalizace + zemní plyn, + datové rozvody, připojení O2) jsou ukončeny na hranici pozemku (kaplička EL, revizní šachta kanalizace, vodovodní šachta vodovodu, uzavírací armatura zemního plynu). Dále se na hranici pozemku ( v kapličce) nachází ukončení datových kabelů, či internetu). Přístup je na pozemek z jižní strany z místní obslužné asfaltové komunikace, která přechází plynule do asfaltové komunikace samotného ZTV, jenž je jeho obsahem nejen veřejné osvětlení ale i odstavná parkovací stání včetně stání pro invalidy.
Aktuální cena: 10.150,-Kč/m2 (v případě více zájemců prodej nejvyšší nabídce) všech uvedených nebo i jednotlivých pozemků. Prodávající si vždy vyhrazuje právo výběru budoucího kupujícího na základě jím zvolených kritérií, když veškeré údaje obsažené v tomto inzerátu mají pouze informativní charakter a nejsou tak ve smyslu občanského zákoníku: (I) návrhem na uzavření smlouvy dle §1731 a §1732; ani (II) veřejným příslibem dle § 733. Uveřejněním tohoto inzerátu nevzniká uživateli služby ani jakýmkoli třetím osobám nárok na uzavření kupní smlouvy, zejména se vylučuje aplikace §1732 odst. 2 občanského zákoníku.
Pro účely investiční výstavby (kupující s IČ a registrovaný plátce DPH) je možnost odpočtu DPH.
Koupi nemovitosti je možno financovat hypotékou. V případě zájmu Vám zajistíme financování renomovanou bankou.
Pro bližší informace a termíny prohlídky volejte makléře tel. +420 777 305 898 (Jindřich Dvořák, Dipl.Tech.).
Nemovitost je nabízena výhradně realitní kanceláří AD-reality CB České Budějovice.
Pomocí naší hypoteční kalkulačky si můžete udělat orientační představu o výši měsíčních splátek hypotéky. O vše ostatní se pak postaráme my ve spolupráci s našimi obchodními partnery.
22 602 Kč
* Odhadovaná měsíční splátka vychází z výše úvěru Kč s pevnou úrokovou sazbou % po celou dobu trvání úvěru.
Uživatel serveru RealityMIX.cz (dále jen „Server“) dostupného na internetové adrese (URL) https://www.realitymix.cz, který provozuje společnost DALTEN media s.r.o., se sídlem Na Harfě 916/9a, Praha 9, 190 00, IČO: 271 35 306 (dále jen „Správce“) jako provozovateli tohoto Serveru uděluje svůj výslovný souhlas v souladu s ustanovením § 5 zákona č. 101/2000 Sb. O ochraně osobních údajů a o změně některých zákonů, v platném znění (dále jen „zákon o ochraně osobních údajů“), se zpracováním uživatelem poskytnutých osobních údajů a dalších dat.
Uživatel poskytuje Správci osobní údaje v rozsahu: jméno, příjmení, e-mailová adresa, telefonický kontakt a další data, a to z důvodu projeveného zájmu o nemovitost, kde prostřednictvím služby Serveru Správce osloví Uživatel inzerenta uvedeného v detailu
nemovitosti - AD reality CB s.r.o. (IČ 28142713) se zájmem o jeho služby.
Uživatel tyto osobní údaje poskytuje dobrovolně a bere na vědomí, že součástí služeb Správce, které Správce Uživateli poskytuje, je vyhledání všech Uživateli vyhovujících (dle parametrů - cena, typ nemovitosti, lokalita atd.) nemovitostí. Správce za tímto účelem provozuje aplikace Hlídací pes a newsletter. Tyto služby je možné z každého zaslaného emailu odhlásit. Souhlas se zpracováním osobních údajů Uživatel poskytuje Správci na dobu neurčitou s tím, že svůj udělený souhlas může Uživatel kdykoliv na drese správce info@realitymix.cz odvolat. Správce garantuje Uživateli i další práva uvedené v ustanovení §11 a §21 zákoba č. 101/200 Sb. Ve znění pozdějších předpisů.
Více informací o zpracování údajů získáte zde (realitymix.cz/zasady-ochrany-osobnich-udaju)