Pozemek v obytné zóně Ústí nad Orlicí – výhodná příležitost za skvělou cenu 330 000 Kč
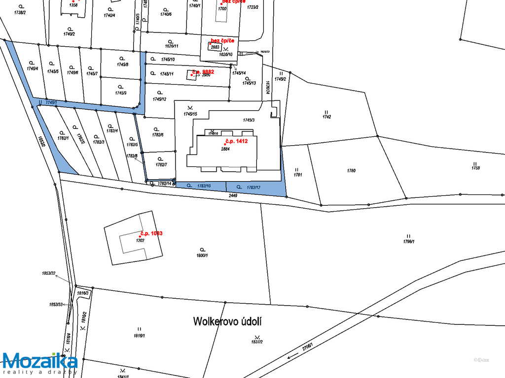
Hledáte cenově dostupný pozemek v atraktivní obytné lokalitě, který nabízí zajímavý potenciál pro různé způsoby využití? Pak právě tato nabídka může být tím, co jste hledali. Nabízíme k prodeji pozemek skládající se ze dvou parcel č. 1782/10 a č. 1782/12 v katastrálním území Ústí nad Orlicí o celkové výměře 340 m², včetně spoluvlastnického podílu ve výši 1/19 na přístupové komunikaci p.č. 1782/8 s výměrou 40m2 a p.č.1745/1 s výměrou 504m2, a to vše za velmi výhodnou cenu 330 000 Kč.
Pozemek se nachází v klidné a vyhledávané části města na ulici Jana a Josefa Kovářů, v přímém sousedství bytového domu a okolní zástavby rodinných domů. Jde tedy o lokalitu, která je plně zapojena do městského organismu – máte v dosahu veškerou občanskou vybavenost, dobré dopravní spojení i příjemné sousedské prostředí. Samotný pozemek je rovinatý, v současné době slouží jako zahrada a na jeho okraji při vjezdu se nachází část stavby kolny souseda.
Než přistoupíte k rozhodování, je důležité být plně informován o podmínkách využití tohoto pozemku. Dle územního plánu obce jsou parcely zařazeny do plochy BI – bydlení individuální. Je však třeba otevřeně říci, že výměra 340 m² nesplňuje podmínku minimální velikosti pozemku, která je stanovena na 600 m² pro samostatný rodinný dům a 500 m² pro dvojdům. Výstavba klasického rodinného domu zde tedy není možná. To je skutečnost, kterou při svém rozhodování musíte zohlednit – a právě proto je pozemek nabízen za mimořádně příznivou cenu, která tuto situaci plně reflektuje.
To ale rozhodně neznamená, že by pozemek byl bez zajímavého využití – právě naopak. V rámci přípustného využití lze na pozemku například zřídit dětské hřiště, sportoviště nebo vybudovat stavby přímo související s bydlením, jako jsou drobné zahradní stavby, pergoly, přístřešky či jiné doplňkové objekty. Pozemek tak může být ideálním řešením pro majitele sousedních nemovitostí, kteří hledají rozšíření své zahrady nebo potřebují zázemí pro své volnočasové aktivity. Současně územní plán nabízí i tzv. podmínečně přípustné využití, které otevírá další možnosti – podrobnosti najdete v přiložené dokumentaci, kterou vám rádi poskytneme.
Umístění v zastavěné obytné zóně s dobrou dostupností a plnou infrastrukturou v okolí dělá z tohoto pozemku zajímavou a cenově dostupnou příležitost, jaká se na trhu objevuje jen zřídka. Ať už uvažujete o rozšíření přilehlé nemovitosti, vytvoření soukromého zázemí pro rodinu, nebo máte jiné kreativní plány, tento pozemek vám poskytne základ, na kterém lze stavět. Cena 330 000 Kč představuje velmi rozumnou investici do nemovitosti v atraktivní lokalitě, jejíž hodnota v čase zpravidla roste.
Neváhejte nás kontaktovat pro více informací, zaslání přiložené dokumentace nebo domluvení osobní prohlídky. Rádi vám zodpovíme veškeré dotazy a pomůžeme vám zorientovat se ve všech možnostech, které tento pozemek nabízí.
Pomocí naší hypoteční kalkulačky si můžete udělat orientační představu o výši měsíčních splátek hypotéky. O vše ostatní se pak postaráme my ve spolupráci s našimi obchodními partnery.
1 336 Kč
* Odhadovaná měsíční splátka vychází z výše úvěru Kč s pevnou úrokovou sazbou % po celou dobu trvání úvěru.
Uživatel serveru RealityMIX.cz (dále jen „Server“) dostupného na internetové adrese (URL) https://www.realitymix.cz, který provozuje společnost DALTEN media s.r.o., se sídlem Na Harfě 916/9a, Praha 9, 190 00, IČO: 271 35 306 (dále jen „Správce“) jako provozovateli tohoto Serveru uděluje svůj výslovný souhlas v souladu s ustanovením § 5 zákona č. 101/2000 Sb. O ochraně osobních údajů a o změně některých zákonů, v platném znění (dále jen „zákon o ochraně osobních údajů“), se zpracováním uživatelem poskytnutých osobních údajů a dalších dat.
Uživatel poskytuje Správci osobní údaje v rozsahu: jméno, příjmení, e-mailová adresa, telefonický kontakt a další data, a to z důvodu projeveného zájmu o nemovitost, kde prostřednictvím služby Serveru Správce osloví Uživatel inzerenta uvedeného v detailu
nemovitosti - Dana Beranová - REALITNÍ A DRAŽEBNÍ SPOLEČNOST MOZAIKA (IČ 40156095) se zájmem o jeho služby.
Uživatel tyto osobní údaje poskytuje dobrovolně a bere na vědomí, že součástí služeb Správce, které Správce Uživateli poskytuje, je vyhledání všech Uživateli vyhovujících (dle parametrů - cena, typ nemovitosti, lokalita atd.) nemovitostí. Správce za tímto účelem provozuje aplikace Hlídací pes a newsletter. Tyto služby je možné z každého zaslaného emailu odhlásit. Souhlas se zpracováním osobních údajů Uživatel poskytuje Správci na dobu neurčitou s tím, že svůj udělený souhlas může Uživatel kdykoliv na drese správce info@realitymix.cz odvolat. Správce garantuje Uživateli i další práva uvedené v ustanovení §11 a §21 zákoba č. 101/200 Sb. Ve znění pozdějších předpisů.
Více informací o zpracování údajů získáte zde (realitymix.cz/zasady-ochrany-osobnich-udaju)