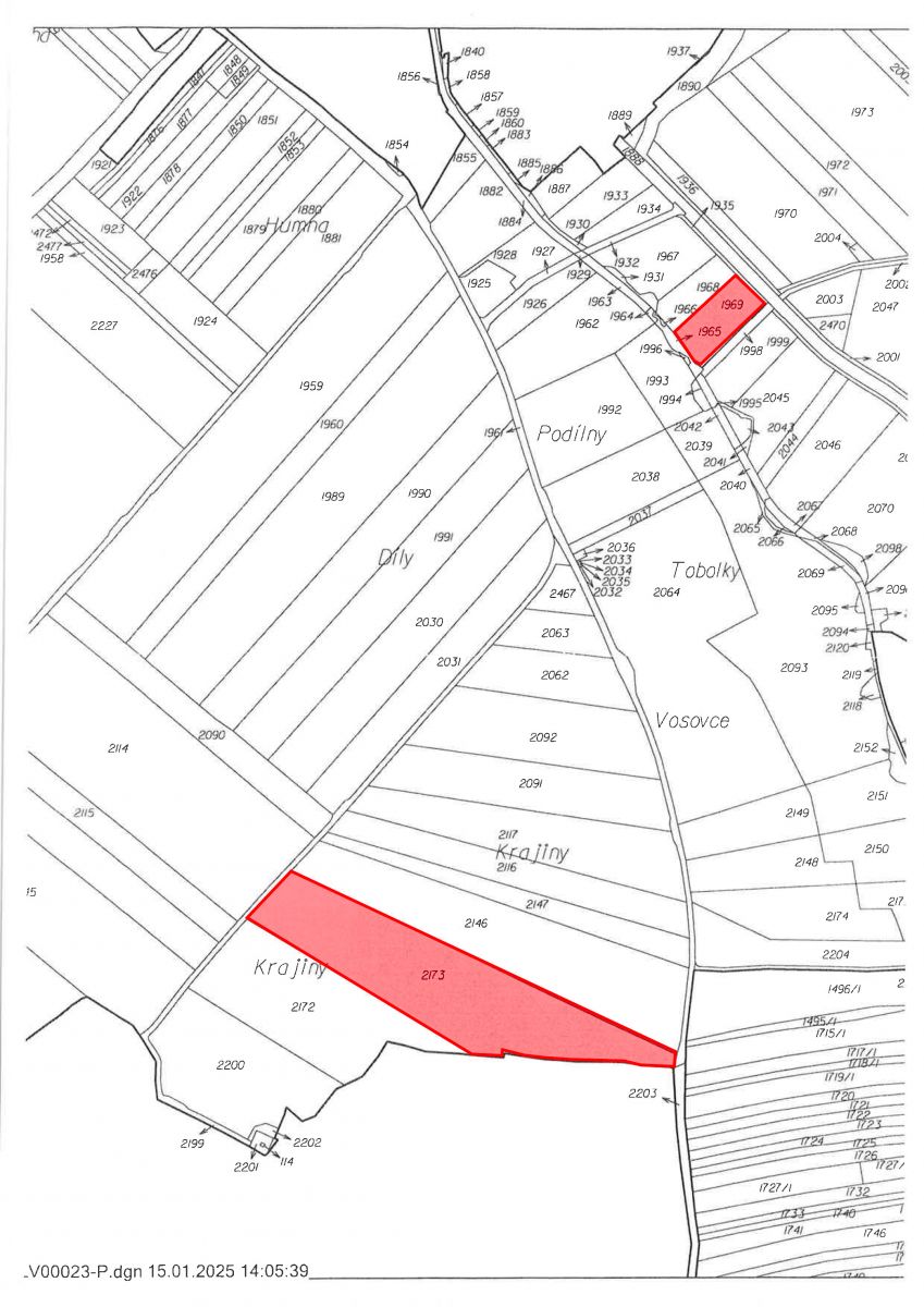
V katastrálním území Vlástiboř u Soběslavi, okres Tábor, nabízíme k prodeji soubor tří parcel orné půdy o celkové výměře 9 560 m. Pozemky jsou ve 100% vlastnictví bez jakýchkoli podílových omezení a jsou zapsány na listu vlastnictví č. 23.
Jedná se o parcely č.:
652 - 6 330 m
753 - 2 284 m
792 - 946 m
V katastrálním území aktuálně proběhly pozemkové úpravy, které nabízené pozemky scelily do kompaktnějších celků - nové uspořádání parce najdete ve fotogalerii.
Pozemky leží v rovinatém terénu, což zajišťuje podmínky pro efektivní hospodaření. K celku je přístup po ostatní komunikaci přímo z obce Vlástiboř. BPEJ hodnoty dosahují 8,08 Kč/m, což výrazně převyšuje průměrnou bonitu katastrálního území (4,85 Kč/m).
V případě zájmu mě kontaktujte telefonicky nebo e-mailem. Cena je uvedena včetně provize a zajišťujeme kompletní právní servis.
Majitel si vyhrazuje právo vybrat kupujícího na základě nabídky.
Pomocí naší hypoteční kalkulačky si můžete udělat orientační představu o výši měsíčních splátek hypotéky. O vše ostatní se pak postaráme my ve spolupráci s našimi obchodními partnery.
2 090 Kč
* Odhadovaná měsíční splátka vychází z výše úvěru Kč s pevnou úrokovou sazbou % po celou dobu trvání úvěru.
Uživatel serveru RealityMIX.cz (dále jen „Server“) dostupného na internetové adrese (URL) https://www.realitymix.cz, který provozuje společnost DALTEN media s.r.o., se sídlem Na Harfě 916/9a, Praha 9, 190 00, IČO: 271 35 306 (dále jen „Správce“) jako provozovateli tohoto Serveru uděluje svůj výslovný souhlas v souladu s ustanovením § 5 zákona č. 101/2000 Sb. O ochraně osobních údajů a o změně některých zákonů, v platném znění (dále jen „zákon o ochraně osobních údajů“), se zpracováním uživatelem poskytnutých osobních údajů a dalších dat.
Uživatel poskytuje Správci osobní údaje v rozsahu: jméno, příjmení, e-mailová adresa, telefonický kontakt a další data, a to z důvodu projeveného zájmu o nemovitost, kde prostřednictvím služby Serveru Správce osloví Uživatel inzerenta uvedeného v detailu
nemovitosti - MojePole (IČ 09773321) se zájmem o jeho služby.
Uživatel tyto osobní údaje poskytuje dobrovolně a bere na vědomí, že součástí služeb Správce, které Správce Uživateli poskytuje, je vyhledání všech Uživateli vyhovujících (dle parametrů - cena, typ nemovitosti, lokalita atd.) nemovitostí. Správce za tímto účelem provozuje aplikace Hlídací pes a newsletter. Tyto služby je možné z každého zaslaného emailu odhlásit. Souhlas se zpracováním osobních údajů Uživatel poskytuje Správci na dobu neurčitou s tím, že svůj udělený souhlas může Uživatel kdykoliv na drese správce info@realitymix.cz odvolat. Správce garantuje Uživateli i další práva uvedené v ustanovení §11 a §21 zákoba č. 101/200 Sb. Ve znění pozdějších předpisů.
Více informací o zpracování údajů získáte zde (realitymix.cz/zasady-ochrany-osobnich-udaju)