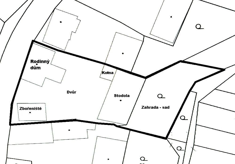
Dvougenerační RD 8+2 s pozemky 1.495 m2 a stodolou v obci Všepadly.
Samostatně stojící dvougenerační dům s kompletním provozním příslušenstvím a zázemím, vedlejšími hospodářskými stavbami (stodola, kolna, zbořeniště) a navazujícími pozemky zahrada se dvorem o celkové výměře 1.495 m2 v zastavěné části obce Všepadly. Patrový, částečně podsklepený RD o dispozici obytných prostor 8+2 s příslušenstvím ve dvou nadzemních podlažích (zvýšené přízemí + patro) s kompletním provozním zázemím a vybavením, bez provozního zařízení. Objekt původního vesnického domu byl v letech 1991 92 nově zbudován na původních základech a kompletně přestavěn (přístavba, nadstavba), modernizován, adaptován do současné podoby a naposledy užíván k trvalému dvougeneračnímu, nyní je objekt vyklizen, již neužíván, připraven k okamžitému předání a užívání dle představ nového vlastníka po provedení rekonstrukce objektu RD. ENB třída: „G“ průkaz nezpracován. Na objekt RD navazují vlastní pozemky (stavební + zahrada) se dvorem, manipulační plochou a vedlejšími hospodářskými stavbami, zpevněnými venkovními úpravami a navazující zahradou s travním porostem a vzrostlými dřevinami s klidovou a užitkovou plochou, tvořící jeden uzavřený soubor nemovitostí původní zemědělské usedlosti. Nemovitosti jsou situovány v rovinatém terénu s orientací pozemků na jihovýchod, navazují po celé šíři na zpevněnou příjezdovou komunikaci s vjezdem a vstupem s okolní vesnickou zástavbou samostatných rodinných domů s dobrou dopravní dostupností. Nabízené nemovitosti jsou vhodné a využitelné k trvalému rodinnému bydlení nebo komerčnímu pronájmu prostor v klidné venkovské lokalitě, v obci bez základní občanské vybavenosti s následnou dostupností základních služeb a infrastruktury v cca 4 km vzdáleném městysu Koloveč, cca 15 km od okresního města Domažlice s kompletní vybaveností. Předností nabízených nemovitostí je technický stav, dispozice, velikost a provozní vybavenost objektu RD, lokace nemovitostí v klidném venkovském prostředí navazující na přírodní venkovskou krajinu a celková rozloha pozemků. Dispozice: sklep externí vstup, chodba, 2x skladovací a provozní prostory, přízemí vstup, chodba, kuchyně s jídelnou, obytná místnost, 3x ložnice, koupelna (vana, umyvadlo), WC, schodiště. 1.patro schodiště, chodba, kuchyně s jídelnou, obytná místnost, 3x ložnice, koupelna (vana, sprch.kout, umyvadlo), WC, schodiště, podkroví volný podkrovní prostor. Přístup z veřejné zpevněné komunikace (vstup + vjezd), elektřina (220/380 V), napojeno na vlastní studnu, odkanalizováno přes septik s přepadem, napojeno na rozvod plynu a telekomunikační rozvody, internet kabel. Vytápění: centrální plynové + centrální na tuhá paliva (kotel uhlí/dřevo). Zastavěná plocha RD: 147 m2, zastavěná plocha celkem: cca 455 m2, plocha pozemků celkem: 1.495 m2
Pomocí naší hypoteční kalkulačky si můžete udělat orientační představu o výši měsíčních splátek hypotéky. O vše ostatní se pak postaráme my ve spolupráci s našimi obchodními partnery.
10 851 Kč
* Odhadovaná měsíční splátka vychází z výše úvěru Kč s pevnou úrokovou sazbou % po celou dobu trvání úvěru.
Uživatel serveru RealityMIX.cz (dále jen „Server“) dostupného na internetové adrese (URL) https://www.realitymix.cz, který provozuje společnost DALTEN media s.r.o., se sídlem Na Harfě 916/9a, Praha 9, 190 00, IČO: 271 35 306 (dále jen „Správce“) jako provozovateli tohoto Serveru uděluje svůj výslovný souhlas v souladu s ustanovením § 5 zákona č. 101/2000 Sb. O ochraně osobních údajů a o změně některých zákonů, v platném znění (dále jen „zákon o ochraně osobních údajů“), se zpracováním uživatelem poskytnutých osobních údajů a dalších dat.
Uživatel poskytuje Správci osobní údaje v rozsahu: jméno, příjmení, e-mailová adresa, telefonický kontakt a další data, a to z důvodu projeveného zájmu o nemovitost, kde prostřednictvím služby Serveru Správce osloví Uživatel inzerenta uvedeného v detailu
nemovitosti - 1. Chodská realitní kancelář v.o.s. (IČ 46885366) se zájmem o jeho služby.
Uživatel tyto osobní údaje poskytuje dobrovolně a bere na vědomí, že součástí služeb Správce, které Správce Uživateli poskytuje, je vyhledání všech Uživateli vyhovujících (dle parametrů - cena, typ nemovitosti, lokalita atd.) nemovitostí. Správce za tímto účelem provozuje aplikace Hlídací pes a newsletter. Tyto služby je možné z každého zaslaného emailu odhlásit. Souhlas se zpracováním osobních údajů Uživatel poskytuje Správci na dobu neurčitou s tím, že svůj udělený souhlas může Uživatel kdykoliv na drese správce info@realitymix.cz odvolat. Správce garantuje Uživateli i další práva uvedené v ustanovení §11 a §21 zákoba č. 101/200 Sb. Ve znění pozdějších předpisů.
Více informací o zpracování údajů získáte zde (realitymix.cz/zasady-ochrany-osobnich-udaju)