Nabízím k prodeji stavební pozemek parc. č. 290/18 o výměře 1 871 m² v obci Všetaty, okres Mělník.
Hlavní výhody pozemku:
• Výborná dopravní dostupnost do Prahy - přímé vlakové spojení - 34 min. na metro (Vysočanská), 42 min. na Hlavní nádraží, 7. min. do Neratovic, 10. min. na Mělník
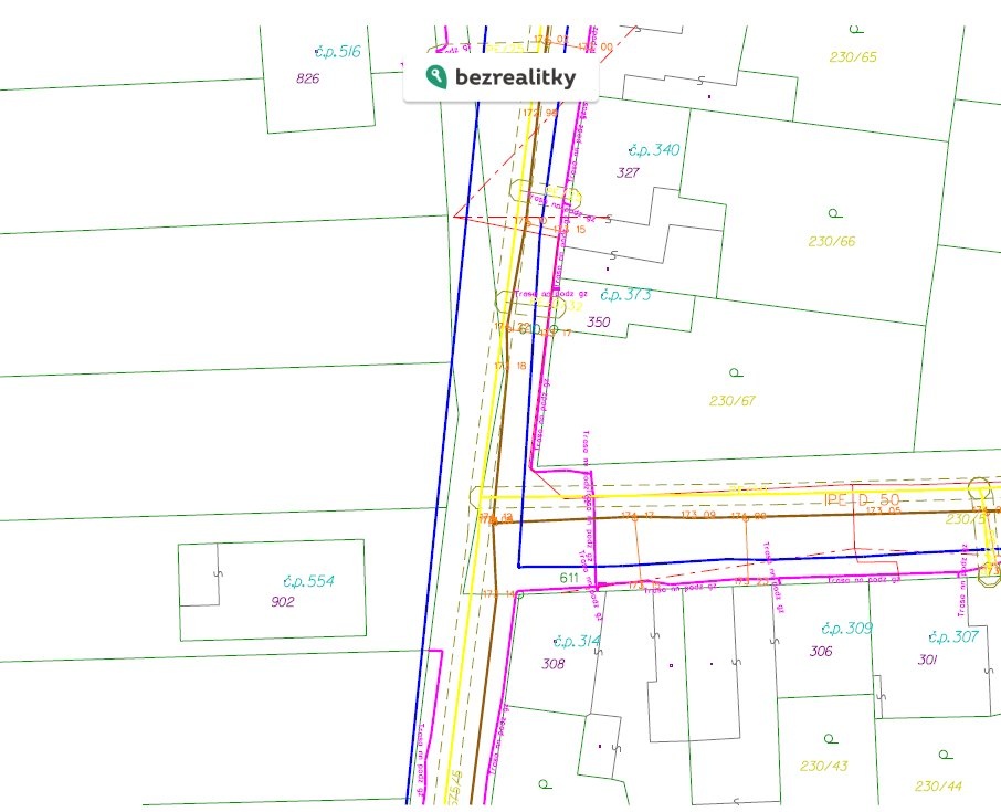
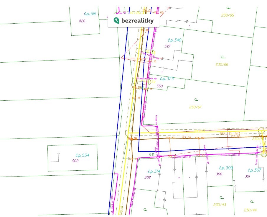
• Inženýrské sítě u hranice pozemku (viz foto - modře je vyznačen vodovod, červeně elektrika, žlutě plyn a hnědě kanalizace)
• Kompletní občanská vybavenost v obci: škola, školka, zdravotní služby, lékárna, Sokol, rodinné centrum, obchody, restaurace, cukrárna, blízkost jezera Lhota
• Pozemek je mimo záplavové území
• Rovinatý pozemek, vhodný k okamžitému zahájení příprav na stavbu
• Možnost přístupu na pozemek ze dvou stran
Pozemek nabízí dostatek prostoru pro komfortní bydlení, zahradu, parkování i případné další stavby. Ideální volba pro ty, kteří hledají klidné místo k životu s perfektním spojením do Prahy.
Z územního plánu:
• Maximální procento zastavění pozemku: 25%
• Maximální počet počet podlaží: 2 nadzemní podlaží a podkroví
• Typ zastřešení: střechy šikmé
Prosím, kontakt pouze od přímých zájemců, ne realitních makléřů. Děkuji. Tato nemovitost je určena výhradně přímým zájemcům o koupi. Na inzerát můžete také reagovat přímo na webu Bezrealitky.
Pomocí naší hypoteční kalkulačky si můžete udělat orientační představu o výši měsíčních splátek hypotéky. O vše ostatní se pak postaráme my ve spolupráci s našimi obchodními partnery.
20 041 Kč
* Odhadovaná měsíční splátka vychází z výše úvěru Kč s pevnou úrokovou sazbou % po celou dobu trvání úvěru.
reklama
reklama
Mapa
* Umístění na mapě je na základě GPS informací dodaných realitní kanceláří.
* Pozice na mapě je pouze orientační.
Souhlas se zpracováním osobních údajů
Uživatel serveru RealityMIX.cz (dále jen „Server“) dostupného na internetové adrese (URL) https://www.realitymix.cz, který provozuje společnost DALTEN media s.r.o., se sídlem Na Harfě 916/9a, Praha 9, 190 00, IČO: 271 35 306 (dále jen „Správce“) jako provozovateli tohoto Serveru uděluje svůj výslovný souhlas v souladu s ustanovením § 5 zákona č. 101/2000 Sb. O ochraně osobních údajů a o změně některých zákonů, v platném znění (dále jen „zákon o ochraně osobních údajů“), se zpracováním uživatelem poskytnutých osobních údajů a dalších dat.
Uživatel poskytuje Správci osobní údaje v rozsahu: jméno, příjmení, e-mailová adresa, telefonický kontakt a další data, a to z důvodu projeveného zájmu o nemovitost, kde prostřednictvím služby Serveru Správce osloví Uživatel inzerenta uvedeného v detailu
nemovitosti - Bezrealitky s.r.o. (IČ 08063168) se zájmem o jeho služby.
Uživatel tyto osobní údaje poskytuje dobrovolně a bere na vědomí, že součástí služeb Správce, které Správce Uživateli poskytuje, je vyhledání všech Uživateli vyhovujících (dle parametrů - cena, typ nemovitosti, lokalita atd.) nemovitostí. Správce za tímto účelem provozuje aplikace Hlídací pes a newsletter. Tyto služby je možné z každého zaslaného emailu odhlásit. Souhlas se zpracováním osobních údajů Uživatel poskytuje Správci na dobu neurčitou s tím, že svůj udělený souhlas může Uživatel kdykoliv na drese správce info@realitymix.cz odvolat. Správce garantuje Uživateli i další práva uvedené v ustanovení §11 a §21 zákoba č. 101/200 Sb. Ve znění pozdějších předpisů.
Více informací o zpracování údajů získáte zde (realitymix.cz/zasady-ochrany-osobnich-udaju)