Prodej stavebního pozemku v Chotovinách, ulice Zámecká
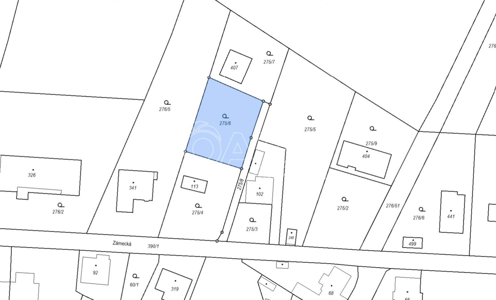
Nabízím k prodeji stavební pozemek o výměře 713m2, nacházející se v klidné a vyhledávané lokalitě obce Chotoviny. Na mírně svažitém pozemku se nachází několik vzrostlých jehličnanů i ovocných stromů, což místu dodává kouzlo a přírodní atmosféru. Pro milovníky přírody a klidu jde o ideální místo pro výstavbu vašeho nového domova.
Součástí prodeje je i spoluvlastnický podíl ½ na pozemku 275/8 o výměře 179m2, který zajišťuje přístup k prodávanému pozemku.
Hlavní výhody:
- ideální pozemek pro výstavbu menšího domu s max. 2 nadzemními podlažím, případně jednopodlažní s obytným podkrovím; zastavitelnost pozemku max. 40%
- inženýrské sítě na hranici pozemku
- příznivá poloha pozemku v klidné části obce
- výbornou dobrou dopravní dostupností - dálnice D3 směrem do Tábora, případně na Prahu; autobusová zastávka jen 250 m
- přímo v Chotovinách se nachází základní i mateřská škola, sportovní hala, fotbalové hřiště, supermarket i obecní úřad
Možnost financování koupě hypotečním úvěrem - v případě zájmu vám rádi pomůžeme s jeho vyřízením.
Pokud hledáte klidné místo k bydlení s výbornou dostupností a veškerým potřebným zázemím, je tento pozemek právě pro vás.
Neváhejte a kontaktujte mě pro více informací nebo prohlídku pozemku.
Pomocí naší hypoteční kalkulačky si můžete udělat orientační představu o výši měsíčních splátek hypotéky. O vše ostatní se pak postaráme my ve spolupráci s našimi obchodními partnery.
8 085 Kč
* Odhadovaná měsíční splátka vychází z výše úvěru Kč s pevnou úrokovou sazbou % po celou dobu trvání úvěru.
Uživatel serveru RealityMIX.cz (dále jen „Server“) dostupného na internetové adrese (URL) https://www.realitymix.cz, který provozuje společnost DALTEN media s.r.o., se sídlem Na Harfě 916/9a, Praha 9, 190 00, IČO: 271 35 306 (dále jen „Správce“) jako provozovateli tohoto Serveru uděluje svůj výslovný souhlas v souladu s ustanovením § 5 zákona č. 101/2000 Sb. O ochraně osobních údajů a o změně některých zákonů, v platném znění (dále jen „zákon o ochraně osobních údajů“), se zpracováním uživatelem poskytnutých osobních údajů a dalších dat.
Uživatel poskytuje Správci osobní údaje v rozsahu: jméno, příjmení, e-mailová adresa, telefonický kontakt a další data, a to z důvodu projeveného zájmu o nemovitost, kde prostřednictvím služby Serveru Správce osloví Uživatel inzerenta uvedeného v detailu
nemovitosti - QARA s.r.o. (IČ 01740113) se zájmem o jeho služby. Tato společnost je součástí seskupení/sítě/franšízového modelu realitních kanceláří, jejich seznam můžete zobrazit kliknutím na tento odkaz.
QARA s.r.o. Ostrava (IČ 01740113) , QARA s.r.o. Brno (IČ 01740113) , QARA s.r.o. (IČ 01740113)
Uživatel tyto osobní údaje poskytuje dobrovolně a bere na vědomí, že součástí služeb Správce, které Správce Uživateli poskytuje, je vyhledání všech Uživateli vyhovujících (dle parametrů - cena, typ nemovitosti, lokalita atd.) nemovitostí. Správce za tímto účelem provozuje aplikace Hlídací pes a newsletter. Tyto služby je možné z každého zaslaného emailu odhlásit. Souhlas se zpracováním osobních údajů Uživatel poskytuje Správci na dobu neurčitou s tím, že svůj udělený souhlas může Uživatel kdykoliv na drese správce info@realitymix.cz odvolat. Správce garantuje Uživateli i další práva uvedené v ustanovení §11 a §21 zákoba č. 101/200 Sb. Ve znění pozdějších předpisů.
Více informací o zpracování údajů získáte zde (realitymix.cz/zasady-ochrany-osobnich-udaju)