Na prodej pozemek určený k výstavbě rekreačních staveb, chat a zahrádkářských osad. Písek, Pod Ameri
Na prodej v exklusivním zastoupení lukrativní stavení pozemek určený k výstavbě rekreačních staveb, chat a zahrádkářských osad. Písek, Pod Amerikou.
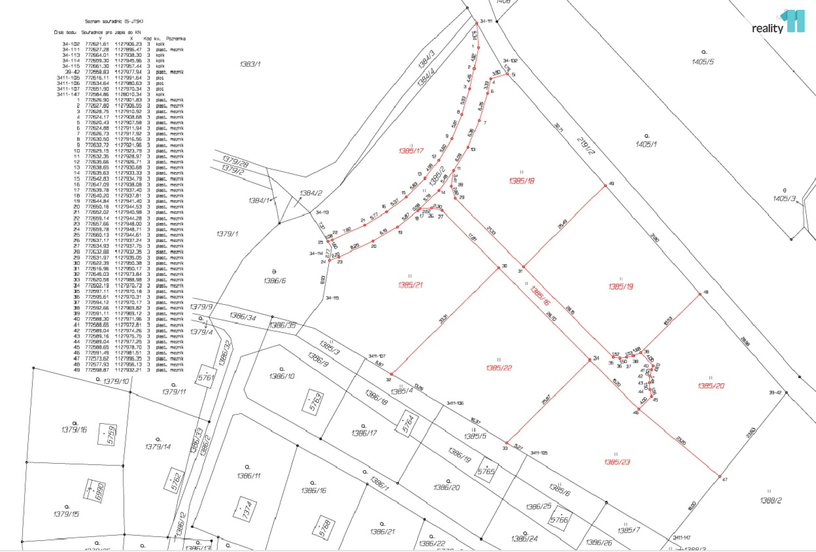
Pozemek je možné pořídit v různých velikostech od cca 576 m² za 1500,-Kč/ m² po téměř 6000 m² za 1250,-Kč/ m².
Na pozemku je vodovod, i elektrika viz obrázek inženýrských sítí.
Informace z Územního plánu:
REKREACE – ZAHRÁDKÁŘSKÉ OSADY (RZ)
a) převažující účel využití -
rodinná rekreace formou zahrádek, zahrádkářských osad a kolonií, kde mohou být povolovány stavby
b) přípustné - - -
plochy zahrádek (ZPF) sloužící pro individuální zemědělskou činnost, tj. pěstování zeleniny, ovoce,
květin, okrasných rostlin apod. pouze pro vlastní potřebu
oplocení zemědělské půdy (zahrad a sadů) za účelem ochrany úrody
nezbytná dopravní a technická infrastruktura
c) podmíněně přípustné -
plochy staveb pro rodinnou rekreaci, např. chaty, rekreační a zahradní domky a další stavby
a zařízení, které souvisejí s rodinnou rekreací za podmínky, že výměra zastavěné plochy (do které se
započítávají zpevněné terasy zastřešené i nezastřešené) nepřesáhne 13 % z celkové výměry
předmětného pozemku, zároveň však maximálně 60 m², v případě pozemků o rozloze větší než
500 m² je tato maximální výměra stanovena na 100 m²
d) podmínky prostorového uspořádání
36/47
-
výška objektů nepřekročí 1,0 NP s výškou okapové hrany max. 3,0 m od přilehlého terénu a výškou
hřebene max. 6,0 m, jedním podzemním podlažím do hloubky max. 3,0 m - - -
navrhované objekty a zařízení dle odstavce c) mohou být v zastavitelných plochách umístěny nejblíže
25 metrů od hranice PUPFL, doplňkové stavby jako pergoly, zpevněné plochy a oplocení pak nejblíže
5 metrů od hranice PUPFL, což platí i pro pozemek p.č.1627/12 a 1624/58 v k.ú. Písek avšak s tím,
že uvedené doplňkové stavby mohou v celkovém součtu dosáhnout max. 75 m²
v případě oddělení části pozemku, na kterém je již realizována nebo povolena rekreační stavba,
nebude na této nově oddělené části povolena další stavba s výjimkou oplocení a nezbytné dopravní
a technické infrastruktury a s výjimkou pozemku p.č.1716/1 v k.ú. Písek, který lze rozdělit na dva díly
s tím, že i na oddělené části bude připuštěna stavba dle odstavce c) max. 75 m²
změna využití plochy Z.19 bude postupná, tj. formou postupné etapizace zástavby, a to ve směru od
ploch již využívaných stejným způsobem směrem do volné krajiny, a to min. ve třech etapách
e) nepřípustné -
všechny ostatní výše neuvedené funkce a činnosti
Rád vám v případě Vaší potřeby nabídnu také výhodné financování. Neváhejte mě kontaktovat s případnými dotazy.
Tento inzerát není závaznou nabídkou inzerenta, podmínky prodeje se mohou v jeho průběhu měnit. Ev. číslo: 26765.
Pomocí naší hypoteční kalkulačky si můžete udělat orientační představu o výši měsíčních splátek hypotéky. O vše ostatní se pak postaráme my ve spolupráci s našimi obchodními partnery.
3 498 Kč
* Odhadovaná měsíční splátka vychází z výše úvěru Kč s pevnou úrokovou sazbou % po celou dobu trvání úvěru.
Uživatel serveru RealityMIX.cz (dále jen „Server“) dostupného na internetové adrese (URL) https://www.realitymix.cz, který provozuje společnost DALTEN media s.r.o., se sídlem Na Harfě 916/9a, Praha 9, 190 00, IČO: 271 35 306 (dále jen „Správce“) jako provozovateli tohoto Serveru uděluje svůj výslovný souhlas v souladu s ustanovením § 5 zákona č. 101/2000 Sb. O ochraně osobních údajů a o změně některých zákonů, v platném znění (dále jen „zákon o ochraně osobních údajů“), se zpracováním uživatelem poskytnutých osobních údajů a dalších dat.
Uživatel poskytuje Správci osobní údaje v rozsahu: jméno, příjmení, e-mailová adresa, telefonický kontakt a další data, a to z důvodu projeveného zájmu o nemovitost, kde prostřednictvím služby Serveru Správce osloví Uživatel inzerenta uvedeného v detailu
nemovitosti - Reality 11 (IČ 29132886) se zájmem o jeho služby. Tato společnost je součástí seskupení/sítě/franšízového modelu realitních kanceláří, jejich seznam můžete zobrazit kliknutím na tento odkaz.
Dumrealit.cz (IČ 00537861) , HOME 4 PEOPLE (IČ 29132886) , Reality 11 (IČ 29132886) , REAL ESTATE CZECH REPUBLIC a.s. (IČ 29132886) , Národní Realitní Holding a.s. (IČ 02918897)
Uživatel tyto osobní údaje poskytuje dobrovolně a bere na vědomí, že součástí služeb Správce, které Správce Uživateli poskytuje, je vyhledání všech Uživateli vyhovujících (dle parametrů - cena, typ nemovitosti, lokalita atd.) nemovitostí. Správce za tímto účelem provozuje aplikace Hlídací pes a newsletter. Tyto služby je možné z každého zaslaného emailu odhlásit. Souhlas se zpracováním osobních údajů Uživatel poskytuje Správci na dobu neurčitou s tím, že svůj udělený souhlas může Uživatel kdykoliv na drese správce info@realitymix.cz odvolat. Správce garantuje Uživateli i další práva uvedené v ustanovení §11 a §21 zákoba č. 101/200 Sb. Ve znění pozdějších předpisů.
Více informací o zpracování údajů získáte zde (realitymix.cz/zasady-ochrany-osobnich-udaju)