© 1999–2026 DALTEN media s.r.o.
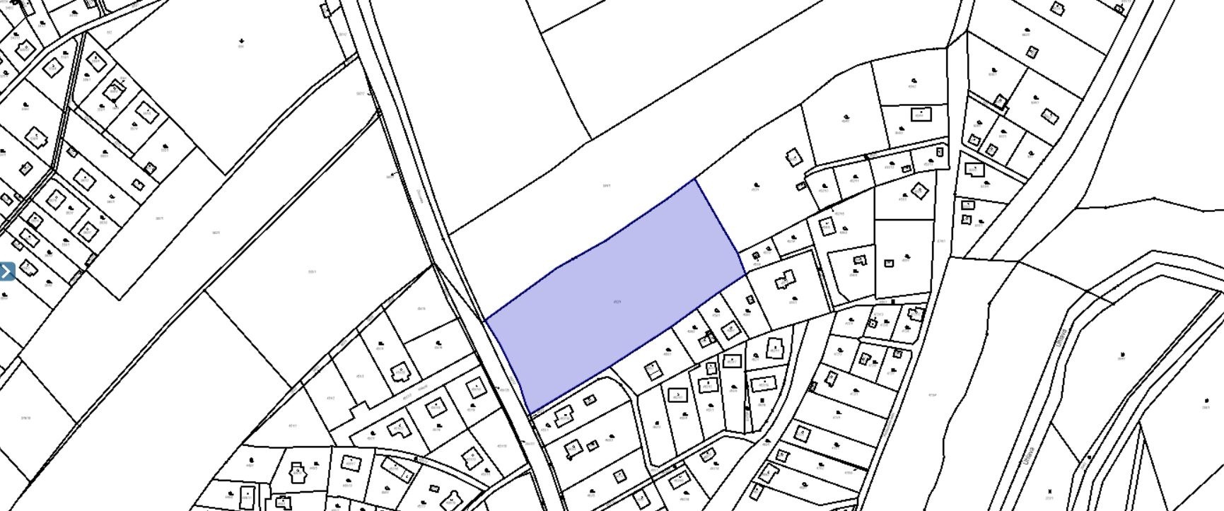
Radobyčice, Plzeň, okr. Plzeň-město
1 850 Kč (za m2)Radobyčice, Plzeň, okr. Plzeň-město
| Cena: | 1 850 Kč / (za m2) |
| Hypotéka: | od 82 564 Kč/měsíc |
| Plocha: | 11023 m² |
| Číslo zakázky: | REALITYMIX-00286 |
Pomocí naší hypoteční kalkulačky si můžete udělat orientační představu o výši měsíčních splátek hypotéky. O vše ostatní se pak postaráme my ve spolupráci s našimi obchodními partnery.