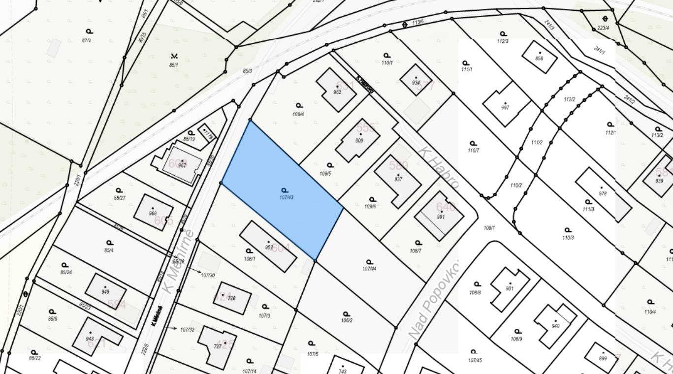
Nabízíme k prodeji jeden z posledních stavebních pozemků o výměře 1300 m² v oblíbené obci Strančice, Praha-východ, nedaleko Říčan. Pozemek se nachází v nové rezidenční zástavbě rodinných domů a představuje ideální místo pro klidné rodinné bydlení v dosahu Prahy.
Pozemek je rovinatý, velmi dobře využitelný a napojený na veškeré inženýrské sítě, které obec nabízí – elektrickou energii, obecní vodovod, splaškovou kanalizaci i kanalizaci pro dešťovou vodu, vedenou v přilehlé komunikaci.
Díky své velikosti poskytuje dostatek prostoru nejen pro samotný dům, ale i pro zahradu, relaxační zónu či další doplňkové stavby.
Strančice jsou dlouhodobě vyhledávanou lokalitou zejména díky kombinaci příjemného venkovského charakteru, okolní přírody a výborné dopravní dostupnosti. Obec disponuje dobrou občanskou vybaveností a nabízí pohodlné spojení do Prahy jak automobilovou dopravou, tak veřejnou dopravou - Pražská integrovaná doprava, vlak, dálnice.
Pozemek je vhodný pro ty, kteří hledají místo pro realizaci vlastního bydlení v klidném prostředí, ale zároveň nechtějí slevit z komfortu a dostupnosti města.
Nabídka je v exkluzivním zastoupení. V případě zájmu o více informací kontaktujte makléře nemovitosti.
Pomocí naší hypoteční kalkulačky si můžete udělat orientační představu o výši měsíčních splátek hypotéky. O vše ostatní se pak postaráme my ve spolupráci s našimi obchodními partnery.
52 633 Kč
* Odhadovaná měsíční splátka vychází z výše úvěru Kč s pevnou úrokovou sazbou % po celou dobu trvání úvěru.
Uživatel serveru RealityMIX.cz (dále jen „Server“) dostupného na internetové adrese (URL) https://www.realitymix.cz, který provozuje společnost DALTEN media s.r.o., se sídlem Na Harfě 916/9a, Praha 9, 190 00, IČO: 271 35 306 (dále jen „Správce“) jako provozovateli tohoto Serveru uděluje svůj výslovný souhlas v souladu s ustanovením § 5 zákona č. 101/2000 Sb. O ochraně osobních údajů a o změně některých zákonů, v platném znění (dále jen „zákon o ochraně osobních údajů“), se zpracováním uživatelem poskytnutých osobních údajů a dalších dat.
Uživatel poskytuje Správci osobní údaje v rozsahu: jméno, příjmení, e-mailová adresa, telefonický kontakt a další data, a to z důvodu projeveného zájmu o nemovitost, kde prostřednictvím služby Serveru Správce osloví Uživatel inzerenta uvedeného v detailu
nemovitosti - Reality Tomáš Slavíček (IČ 49268112) se zájmem o jeho služby.
Uživatel tyto osobní údaje poskytuje dobrovolně a bere na vědomí, že součástí služeb Správce, které Správce Uživateli poskytuje, je vyhledání všech Uživateli vyhovujících (dle parametrů - cena, typ nemovitosti, lokalita atd.) nemovitostí. Správce za tímto účelem provozuje aplikace Hlídací pes a newsletter. Tyto služby je možné z každého zaslaného emailu odhlásit. Souhlas se zpracováním osobních údajů Uživatel poskytuje Správci na dobu neurčitou s tím, že svůj udělený souhlas může Uživatel kdykoliv na drese správce info@realitymix.cz odvolat. Správce garantuje Uživateli i další práva uvedené v ustanovení §11 a §21 zákoba č. 101/200 Sb. Ve znění pozdějších předpisů.
Více informací o zpracování údajů získáte zde (realitymix.cz/zasady-ochrany-osobnich-udaju)