Prodej stavebního pozemku s rozestavěnou rezidencí – Týnec nad Sázavou
Hledáte místo pro moderní bydlení, kde už byla ta nejtěžší práce odvedena?
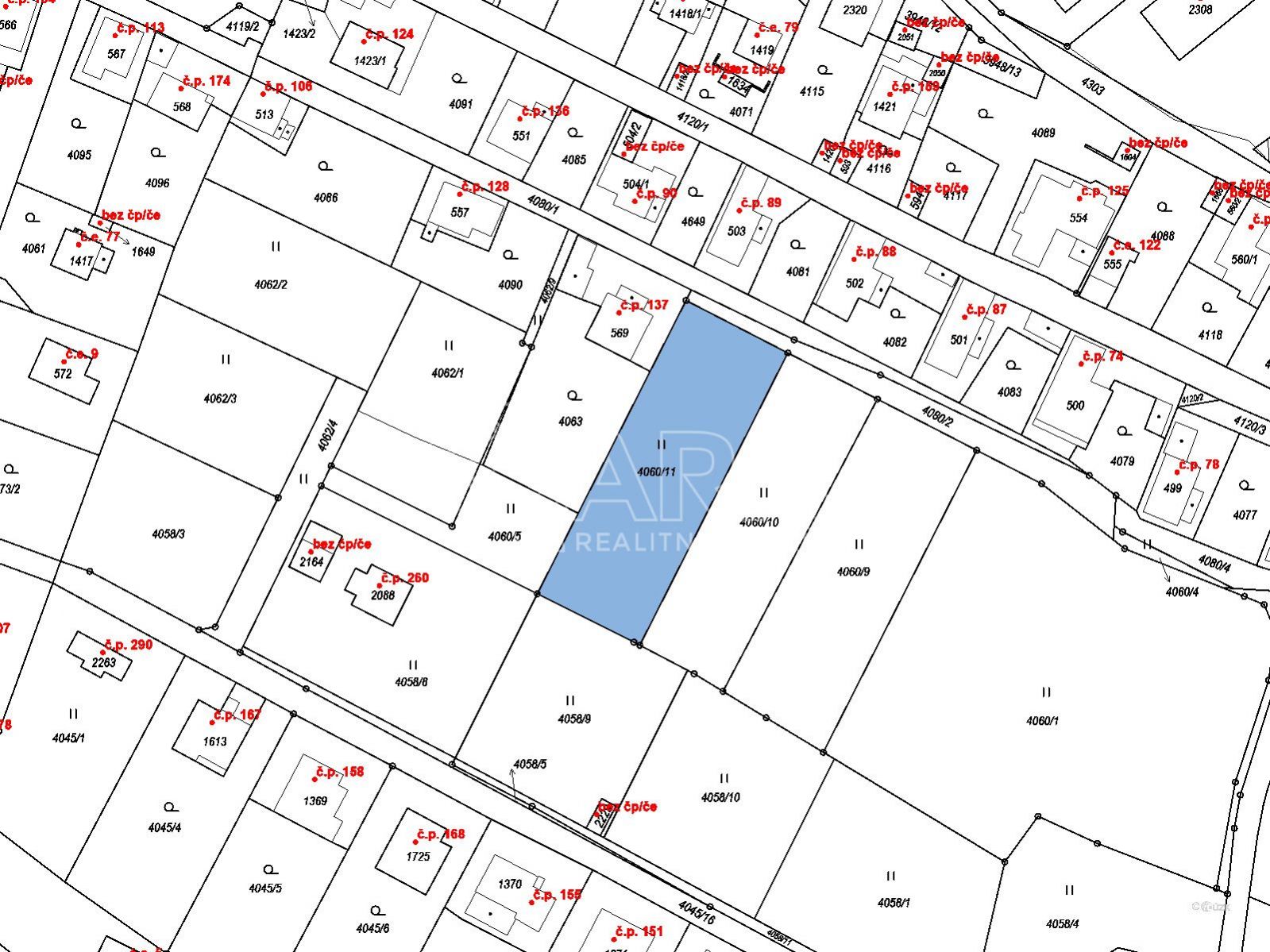
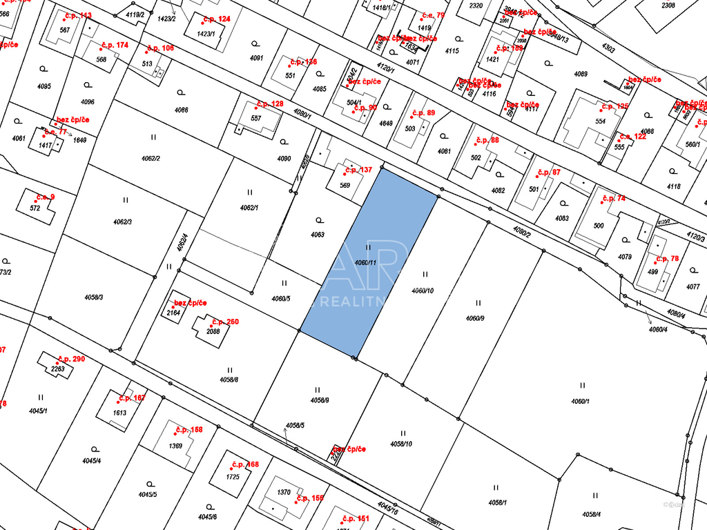
Nabízíme k prodeji slunný stavební pozemek o rozloze 1 201 m² v klidné části Chrástu nad Sázavou. Na pozemku se nachází rozestavěná stavba moderního rodinného domu s platným stavebním povolením a kompletní projektovou dokumentací.
Stav rozestavěnosti
Nemusíte čekat na úřady ani bagry. Na místě je již hotovo:
Zemní práce a terénní úpravy.
Kompletní základová deska včetně prostupů pro inženýrské sítě.
Částečná hrubá stavba suterénu (1. PP) – připraveno k pokračování výstavby.
Dispozice a popis budoucího domu
Projekt počítá s velkorysým, technologicky vyspělým domem rozděleným do dvou podlaží o celkové užitné ploše cca 236 m².
Suterén (1. PP – 128,84 m²): Klidová a relaxační zóna. Dominantou je prostorný obývací pokoj (33 m²) s krbem a vstupem na terasu, ložnice, pokoj/tělocvična, koupelna a luxusní zázemí se saunou a ochlazovnou.
Přízemí (1. NP – 107,91 m²): Vstupní podlaží s velkou dvougaráží (42,5 m²), pracovnou (letním bytem), čajovým pokojem a další koupelnou.
Exteriér: Moderní architektura s plochou zelenou střechou, dřevěnými okny v antracitovém odstínu a kombinací pískové a šedé omítky.
Lokalita a občanská vybavenost
Týnec nad Sázavou je vyhledávanou lokalitou pro svou perfektní rovnováhu mezi přírodou a městským komfortem:
Dopravní dostupnost: Výborné spojení do Prahy (vlak, BUS, auto cca 35 min).
Vybavenost: V místě jsou mateřské i základní školy, poliklinika, pošta, supermarkety a široká síť služeb.
Volný čas: Jen pár kroků od řeky Sázavy a okolních lesů – ideální pro cyklistiku, turistiku či vodáctví.
Inženýrské sítě: Na pozemek je přivedena elektřina, splašková kanalizace a vodovod. Projekt řeší i hospodaření s dešťovou vodou pomocí akumulační nádrž
Tento pozemek je ideální pro někoho, kdo chce stavět ihned a bez administrativních průtahů.
Pomocí naší hypoteční kalkulačky si můžete udělat orientační představu o výši měsíčních splátek hypotéky. O vše ostatní se pak postaráme my ve spolupráci s našimi obchodními partnery.
30 365 Kč
* Odhadovaná měsíční splátka vychází z výše úvěru Kč s pevnou úrokovou sazbou % po celou dobu trvání úvěru.
Uživatel serveru RealityMIX.cz (dále jen „Server“) dostupného na internetové adrese (URL) https://www.realitymix.cz, který provozuje společnost DALTEN media s.r.o., se sídlem Na Harfě 916/9a, Praha 9, 190 00, IČO: 271 35 306 (dále jen „Správce“) jako provozovateli tohoto Serveru uděluje svůj výslovný souhlas v souladu s ustanovením § 5 zákona č. 101/2000 Sb. O ochraně osobních údajů a o změně některých zákonů, v platném znění (dále jen „zákon o ochraně osobních údajů“), se zpracováním uživatelem poskytnutých osobních údajů a dalších dat.
Uživatel poskytuje Správci osobní údaje v rozsahu: jméno, příjmení, e-mailová adresa, telefonický kontakt a další data, a to z důvodu projeveného zájmu o nemovitost, kde prostřednictvím služby Serveru Správce osloví Uživatel inzerenta uvedeného v detailu
nemovitosti - QARA s.r.o. (IČ 01740113) se zájmem o jeho služby. Tato společnost je součástí seskupení/sítě/franšízového modelu realitních kanceláří, jejich seznam můžete zobrazit kliknutím na tento odkaz.
QARA s.r.o. Ostrava (IČ 01740113) , QARA s.r.o. Brno (IČ 01740113) , QARA s.r.o. (IČ 01740113)
Uživatel tyto osobní údaje poskytuje dobrovolně a bere na vědomí, že součástí služeb Správce, které Správce Uživateli poskytuje, je vyhledání všech Uživateli vyhovujících (dle parametrů - cena, typ nemovitosti, lokalita atd.) nemovitostí. Správce za tímto účelem provozuje aplikace Hlídací pes a newsletter. Tyto služby je možné z každého zaslaného emailu odhlásit. Souhlas se zpracováním osobních údajů Uživatel poskytuje Správci na dobu neurčitou s tím, že svůj udělený souhlas může Uživatel kdykoliv na drese správce info@realitymix.cz odvolat. Správce garantuje Uživateli i další práva uvedené v ustanovení §11 a §21 zákoba č. 101/200 Sb. Ve znění pozdějších předpisů.
Více informací o zpracování údajů získáte zde (realitymix.cz/zasady-ochrany-osobnich-udaju)