Výjimečná nabídka – hledáte něco výjimečného, co jen tak někdo nemá, ať už k bydlení, nebo podnikání, či jako investiční záměr v širším středu Českých Budějovic u obchodního střediska IGY, ulice Kostelní?
Nabízíme výhradně prodej stavebního pozemku se schváleným stavebním záměrem – výstavba, víceúčelová stavba, atelier s možností výstavby budovy za účelem následného využití (možný výběr):
- atelier,
- jedna bytová jednotka v RD,
- ateliér a jedna bytová jednotka
- dvě bytové jednotky v RD,
- celkem 6 ubytovacích jednotek,
- celkem 7 ubytovacích jednotek.
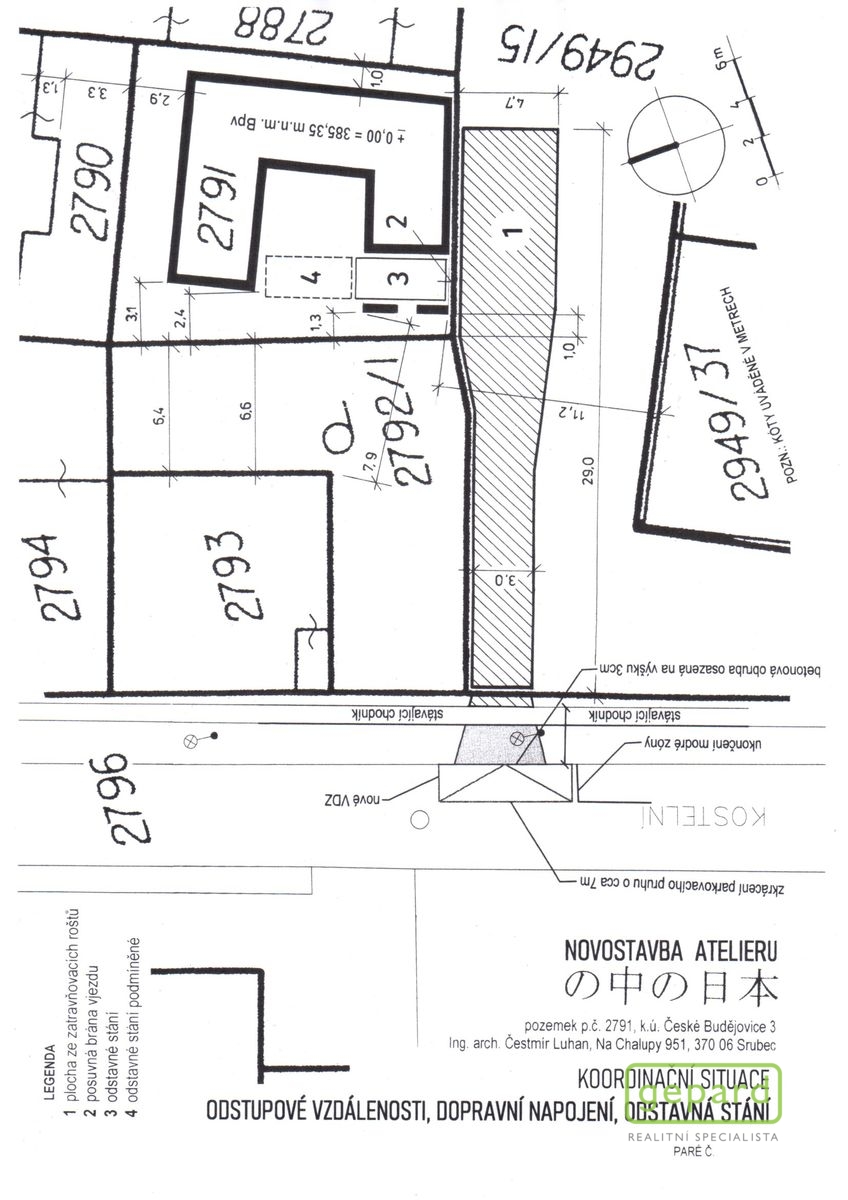
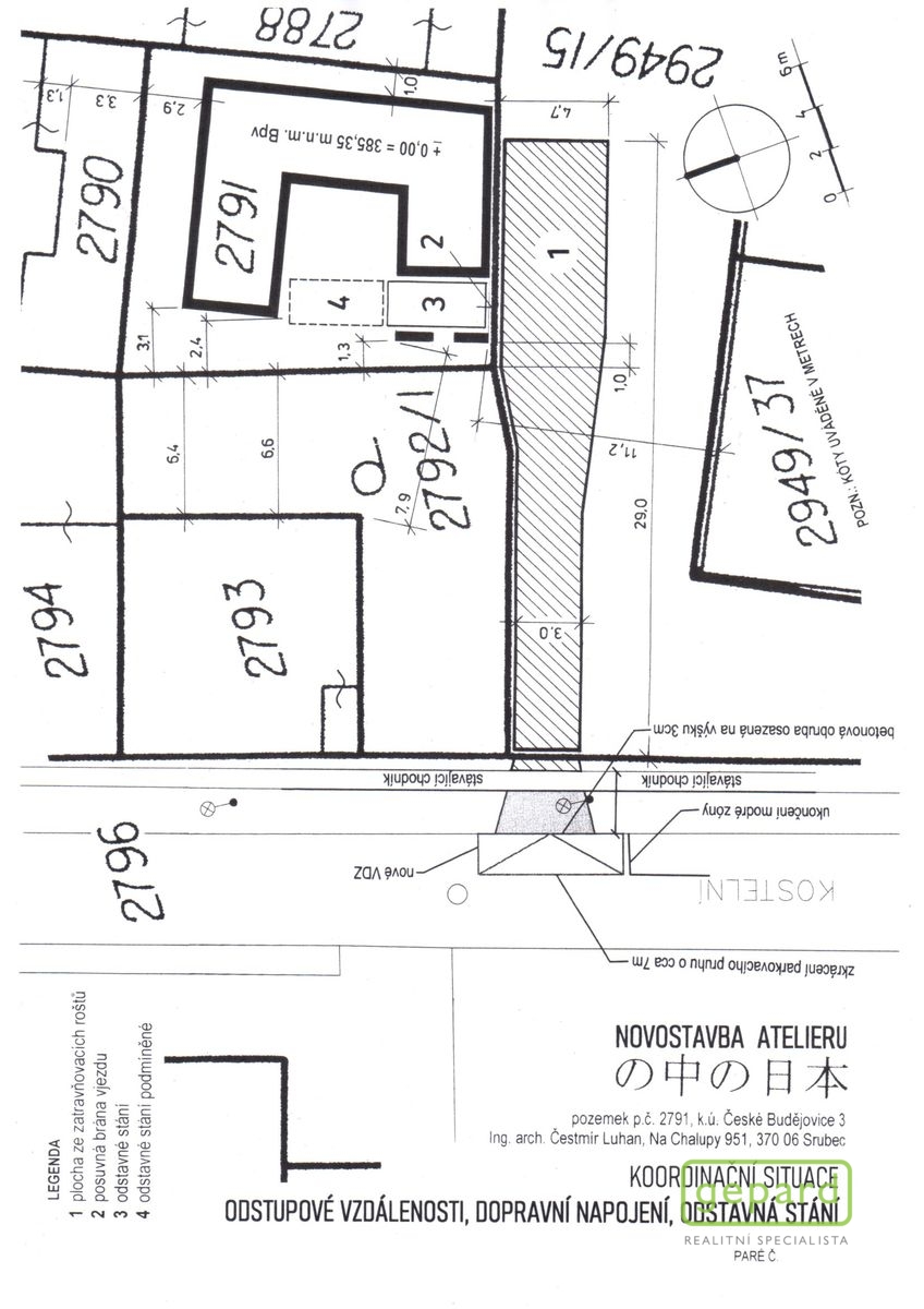
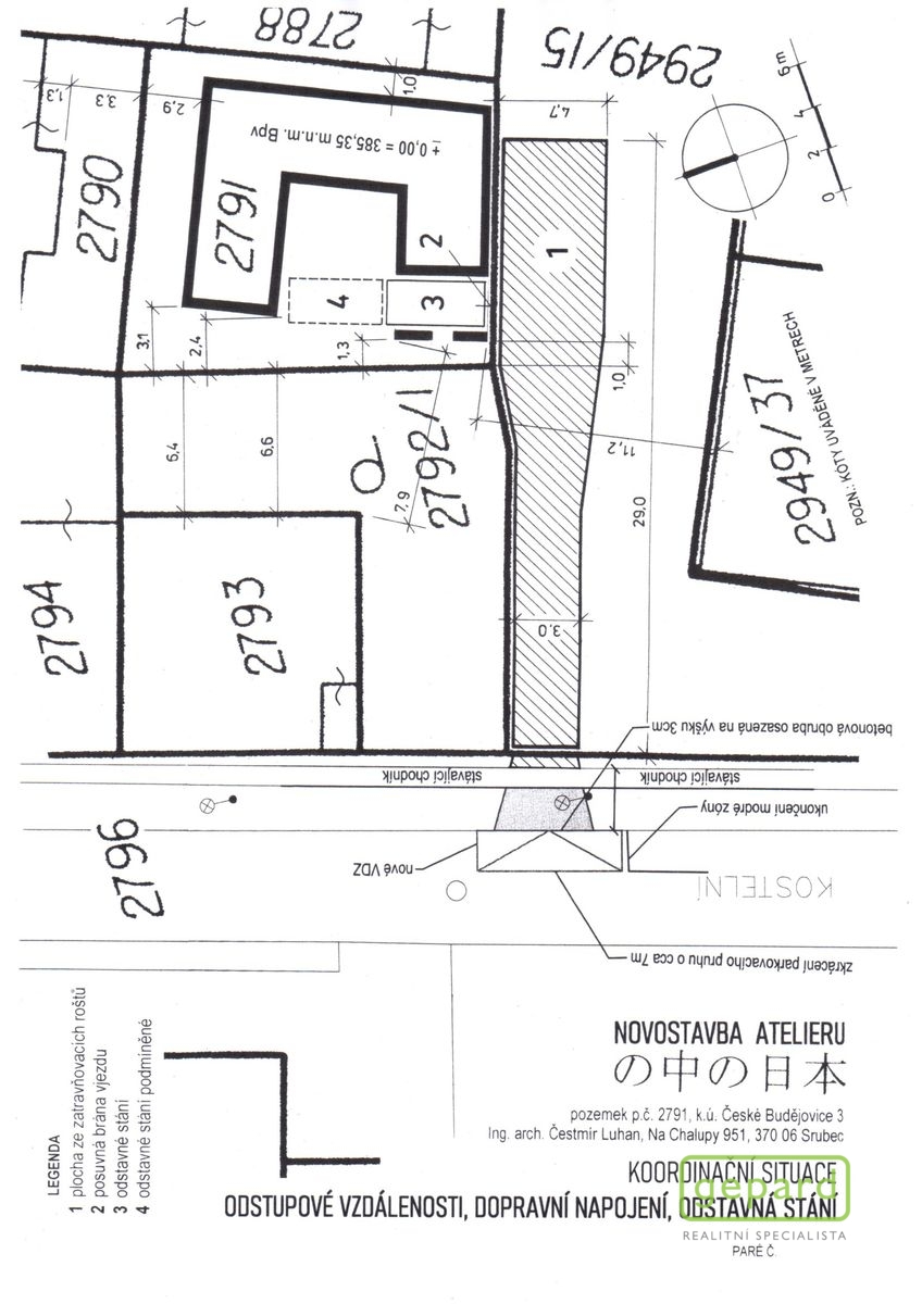
Celá budova je navržena a situována tak, aby bylo maximálně dodrženo soukromí budoucích bydlících a uživatelů i ze strany a podhledu ze všech okolních budov.
Parametry budoucí stavby:
zastavěná plocha (včetně průjezdu) … 123,0 m2
obest. prostor (včetně průjezdu, bez zákl. konstrukcí) … cca 765,0 m3
obestavěný prostor (standardní základové konstrukce) … cca 85,0 m3
užitková plocha přízemí (včetně průjezdu) … 90,1 m2
užitková plocha podkroví … 68,4 m2
užitková plocha celkem (včetně průjezdu) … 158,5 m2
podlahová plocha celkem (bez průjezdu) … 207,5 m2
Celková plocha stavebního pozemku je 241 m2 a vlastníkem a zároveň zpracovatelem záměru a projektu byla již zpracována projektová dokumentace k uvedenému, včetně souhlasných stanovisek, přípojek (voda, plyn, elektro, kanalizace), smluv a vyjádření potřebných k následnému vydání stavebního povolení, naposledy - Kladné závazné stanovisko se stavebním záměrem – atelier (víceúčelová stavba) Magistrát města České Budějovice, odbor územního plánování.
Jedná se o zcela výjimečnou věc zpracovanou renomovaným architektem, který se může na uvedeném po dohodě dále zúčastnit a vykonávat další činnosti v tomto pro nového majitele.
Nový majitel v ceně obdrží pozemek, včetně všech plánů, variant, možností, oprávnění, povolení a dalšího, rovnající se práce na uvedeném ze dobu 6-ti let …..
K uvedenému je potřebné a vhodné jednání a prezentace pro vážného zájemce u „kulatého stolu“ kde bude vše kompletně předvedeno a prezentováno, včetně ceny.
Cena za komplet je stanovená.
Uživatel serveru RealityMIX.cz (dále jen „Server“) dostupného na internetové adrese (URL) https://www.realitymix.cz, který provozuje společnost DALTEN media s.r.o., se sídlem Na Harfě 916/9a, Praha 9, 190 00, IČO: 271 35 306 (dále jen „Správce“) jako provozovateli tohoto Serveru uděluje svůj výslovný souhlas v souladu s ustanovením § 5 zákona č. 101/2000 Sb. O ochraně osobních údajů a o změně některých zákonů, v platném znění (dále jen „zákon o ochraně osobních údajů“), se zpracováním uživatelem poskytnutých osobních údajů a dalších dat.
Uživatel poskytuje Správci osobní údaje v rozsahu: jméno, příjmení, e-mailová adresa, telefonický kontakt a další data, a to z důvodu projeveného zájmu o nemovitost, kde prostřednictvím služby Serveru Správce osloví Uživatel inzerenta uvedeného v detailu
nemovitosti - GEPARD REALITY/BOARS (IČ 26066734) se zájmem o jeho služby. Tato společnost je součástí seskupení/sítě/franšízového modelu realitních kanceláří, jejich seznam můžete zobrazit kliknutím na tento odkaz.
GEPARD REALITY/BOARS (IČ 26066734) , GEPARD REALITY/AB Domus (IČ 27611736) , GEPARD REALITY/Absoluta Real (IČ 28947444) , GEPARD REALITY/REALITY MUZEJKA (IČ 60739606) , GEPARD REALITY/KWitka Group Reality (IČ 06295428) , GEPARD REALITY/Pallas Athena Group (IČ 28528263) , GEPARD REALITY/Living (IČ 27892531) , GEPARD REALITY/Tobi reality a finance (IČ 11733837) , GEPARD REALITY/Nesreality (IČ 08480150) , GEPARD REALITY/ČESKÁ HYPOTEČNÍ reality (IČ 14153971) , GEPARD REALITY/Specialisté na bydlení (IČ 04779282) , GEPARD REALITY/New Home (IČ 14053365) , GEPARD REALITY/Dream nemovitosti (IČ 17567807) , GEPARD REALITY/Omega Real Estate Agency (IČ 17637635) , GEPARD REALITY/ILIĆ REALITY (IČ 07656645) , GEPARD REALITY/Motyčka Reality a Finance (IČ 21201722) , GEPARD REALITY/MARATHON Reality (IČ 21674451) , GEPARD REALITY/Kuba’s Eleven (IČ 21678294) , GEPARD REALITY/Kyjonka Reality & Hypotéky (IČ 23001356) , GEPARD REALITY/WestVary (IČ 23808756) , GEPARD REALITY (IČ 28528263)
Uživatel tyto osobní údaje poskytuje dobrovolně a bere na vědomí, že součástí služeb Správce, které Správce Uživateli poskytuje, je vyhledání všech Uživateli vyhovujících (dle parametrů - cena, typ nemovitosti, lokalita atd.) nemovitostí. Správce za tímto účelem provozuje aplikace Hlídací pes a newsletter. Tyto služby je možné z každého zaslaného emailu odhlásit. Souhlas se zpracováním osobních údajů Uživatel poskytuje Správci na dobu neurčitou s tím, že svůj udělený souhlas může Uživatel kdykoliv na drese správce info@realitymix.cz odvolat. Správce garantuje Uživateli i další práva uvedené v ustanovení §11 a §21 zákoba č. 101/200 Sb. Ve znění pozdějších předpisů.
Více informací o zpracování údajů získáte zde (realitymix.cz/zasady-ochrany-osobnich-udaju)